Login | Registration | List of contributors

« Back

Didymomyia tiliacea

Lime gall midge

Description

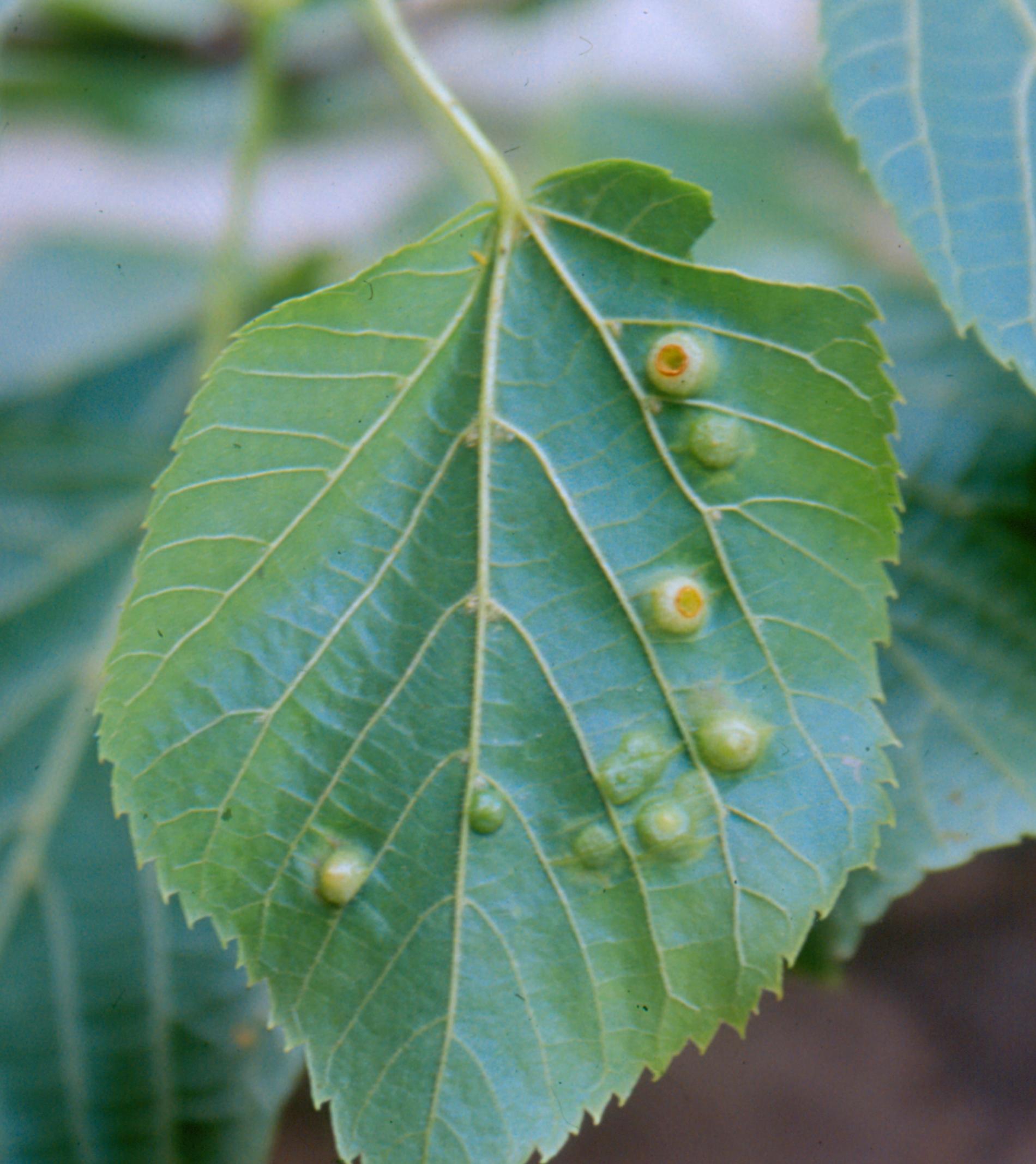
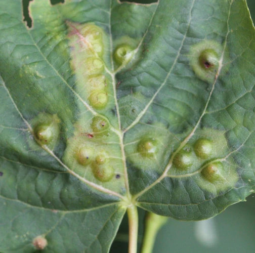
Didymomyia tiliacea, also known as Didymomyia reaumuriana, is a gall midge belonging to the Diptera family Cecidomyiidae. This pest induces gall formation on Tilia (lime) trees. The galls can grow up to 6 by 4 mm in size, initially appearing green and later transitioning to brown or yellow. They are visible on both the upper and lower surfaces of the lime leaves. On the upper side, cone-shaped outgrowths, approximately 2 mm long, can be observed, while on the lower side, the galls manifest as less noticeable swellings.Initially green, the galls gradually turn red over time. During autumn, the galls begin to enlarge, and a new cone-shaped structure emerges from within the gall, serving as a habitat for one larva of the pest. These larvae are yellow in color. Following leaf fall, the larvae undergo pupation, and the adult midges emerge during the spring season.The presence of Didymomyia tiliacea can have a noticeable impact on the affected Tilia trees, causing the formation of galls and altering the appearance of the leaves. Monitoring the infestation, implementing appropriate management practices, and understanding the life cycle of this gall midge can aid in preserving the health and vitality of lime trees.

Symptom

This pest induces gall formation on Tilia (lime) trees. The galls can grow up to 6 by 4 mm in size, initially appearing green and later transitioning to brown or yellow. They are visible on both the upper and lower surfaces of the lime leaves. On the upper side, cone-shaped outgrowths, approximately 2 mm long, can be observed, while on the lower side, the galls manifest as less noticeable swellings.

Tree Species: Lime

Part of a plant- attacked: Leaf / Needle

Pest significance: Less harmful

Pest Category: Insects

Invasive Species: No

Present in EU: Yes


Add comment: Didymomyia tiliacea


Location map: Didymomyia tiliacea

Legend:

1

Expert verified points

3

Unverified points

Observed by users on these tree species


Similar damage

Hairy beech gall

Hairy beech gall

Black locust gall midge

Black locust gall midge

Tilia leaf spot fungus

Tilia leaf spot fungus

Cornus gall midge

Cornus gall midge

Back to top