Cynips cornifex
Gall midge Cynips cornifex
Description
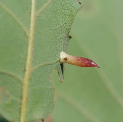
A 6-15 mm long, horn-shaped, usually gregarious gall formed on the underside of the leaves – unique shape for a cynipid gall on leaves. Attachedd to the veins. Initialy green, becoming pale brown and polished when mature. Only a unisexual generation is known.
Symptom
6-15 mm long, horn-shaped, usually gregarious gall formed on the underside of the leaves – unique shape for a cynipid gall on leaves.
Tree Species: Oak
Part of a plant- attacked: Leaf / Needle
Pest significance: Less harmful
Pest Category: Insects
Invasive Species: No
Present in EU: Yes
Add comment: Cynips cornifex
Location map: Cynips cornifex
Legend:

Expert verified points

Unverified points


