Craneiobia corni
Cornus gall midge
Description
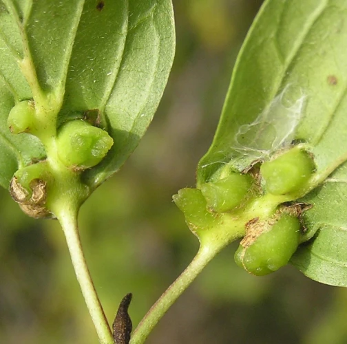
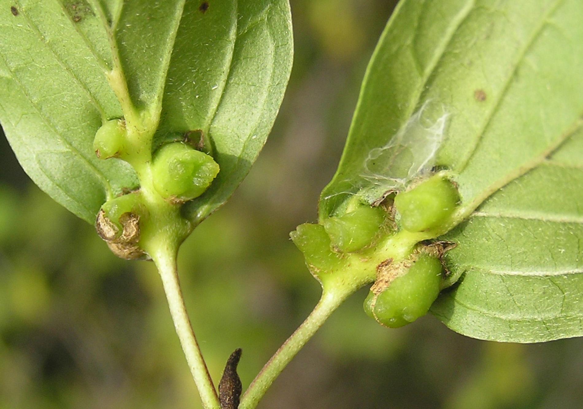
On leaves of Cornus are found massive galls. On the top side they look like relatively regular, smooth, conical outgrowths, about 5-6 mm tall, on the bottom side of the leaf they are like irregular ‘roots’ of the same shape, about 8-15 mm long. The colour of the gall is from green to reddish-brown. Massive occurrence of the species is relatively common and often almost all leaves of the tree are attacked. Larvae hibernate in the soil and pupate in the spring.
Symptom
On leaves are found massive galls. On the upperside of the leaf they look like relatively regular, smooth, conical outgrowths, about 5-6 mm tall, on the underside of the leaf they are like irregular ‘roots’ of the same shape, about 8-15 mm long.
Tree Species: Dogwoods
Part of a plant- attacked: Leaf / Needle
Pest significance: Less harmful
Pest Category: Insects
Invasive Species: No
Present in EU: Yes
Add comment: Craneiobia corni
Location map: Craneiobia corni
Legend:

Expert verified points

Unverified points


