Login | Registration | List of contributors

« Back

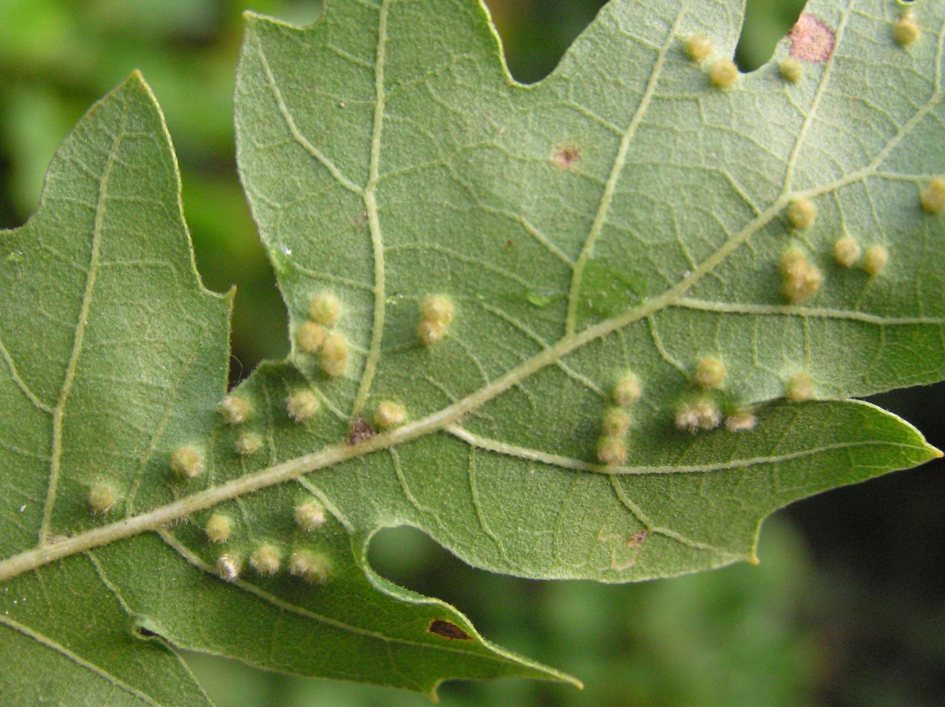
Contarinia subulifex

Gall midge Contarinia subulifex

Description

About 5-8 mm long (1 mm wide) outgrowths are formed on the upper side of Quercus cerris leaves. The galls occur in groups and form a “brush” from the leaf. The species has one generation per year. The larva pupates in the ground. 

Symptom

About 5-8 mm long (1 mm wide) outgrowths are formed on the upper side of Quercus cerris leaves.

Tree Species: Oak

Part of a plant- attacked: Leaf / Needle

Pest significance: Less harmful

Pest Category: Insects

Invasive Species: No

Present in EU: Yes


Add comment: Contarinia subulifex


Location map: Contarinia subulifex

print view

Legend:

1

Expert verified points

3

Unverified points

Observed by users on these tree species

 

Most sightings of the species


Last observations

There are a total of 2 observations of the species in the system

majo

Contarinia subulifexGall midge Contarinia subulifex
majo
Number of votes: 0
Published: 8.9.2024

Milan Zubrik

Contarinia subulifexGall midge Contarinia subulifex
Milan Zubrik
Number of votes: 0
Published: 22.5.2024


Similar damage

Gall midge Harmandiola tremulae

Gall midge Harmandiola tremulae

Gall wasp Andricus quercustozae

Gall wasp Andricus quercustozae

Gall midge Macrodiplosis volvens

Gall midge Macrodiplosis volvens

Gall wasp Cynips divisa

Gall wasp Cynips divisa

Back to top