Cnaemidophorus rhododactyla
Rose plume moth
Description
Cnaemidophorus rhododactyla, commonly known as the rose plume moth, belongs to the family Pterophoridae within the superfamily Pterophoroidea. It is found throughout the Northern Hemisphere, excluding Greenland, Southeast Asia, and most of North Africa. The moth has a wingspan of 18–26 mm and is noted for its distinct wing shape. The larvae hatch in autumn and initially feed on rose leaves, overwintering in a stem. In May, they resume feeding on leaves, flower buds, and flowers. Moths are active in July and August. Larval foodplants include Japanese rose (Rosa rugosa), dog-rose (Rosa canina), glaucous dog rose (Rosa dumalis), burnet rose (Rosa spinosissima), and Rosa subcanina. The larvae pupate in a slight netting cocoon on the food plant. Not very common and only localy can be more abundant.
Symptom
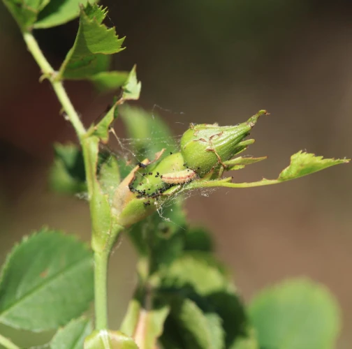
A hairy, slug-like larva found on leaves or near the buds. It creates fine, silk-like webs with fragments of debris around it.
Tree Species: Rose
Part of a plant- attacked: Leaf / Needle
Pest significance: Less harmful
Pest Category: Insects
Invasive Species: No
Present in EU: Yes
Add comment: Cnaemidophorus rhododactyla
Location map: Cnaemidophorus rhododactyla
Legend:

Expert verified points

Unverified points


