Login | Registration | List of contributors

« Back

Choreutis nemorana

Fig-tree skeletonizer moth

Description

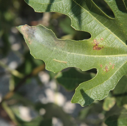
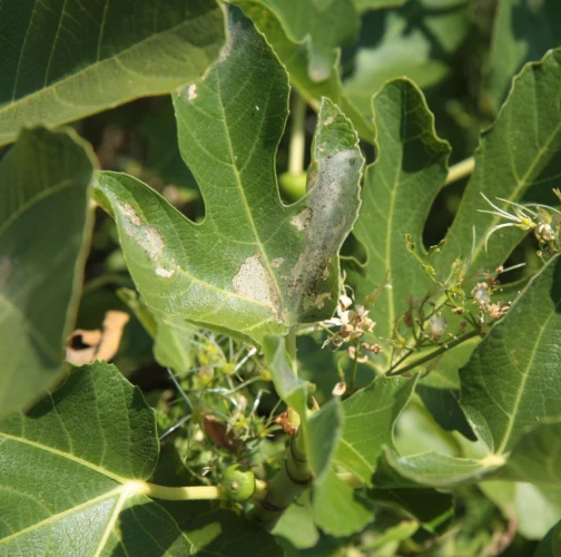
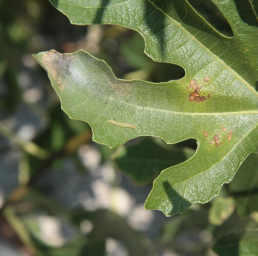
Choreutis nemorana, commonly known as the fig-tree skeletonizer moth, is a species in the family Choreutidae. Its wingspan ranges from 16–20 mm, with reddish-brown forewings marked with whitish patterns. This species is monophagous on fig trees (Ficus carica), where larvae feed on leaves. The life cycle includes two generations per year, with adults appearing in spring and again in late summer. Larvae spin silken webs and feed within them, eventually pupating in folded leaf edges.

Distributed across the Mediterranean, North Africa, and parts of Asia, it has recently expanded to Northern Europe. Damage is usually minor, with leaves appearing skeletonized and rolled. Severe infestations may reduce leaf aesthetics but rarely affect tree vitality.

Symptom

Affected leaves exhibit silken webs with skeletonized patches. Leaf edges may curl, forming shelters for larvae, and white cocoons are visible at fold points.

Tree Species: Fig tree

Part of a plant- attacked: Leaf / Needle

Pest significance: Less harmful

Pest Category: Insects

Invasive Species: No

Present in EU: Yes


Add comment: Choreutis nemorana


Location map: Choreutis nemorana

print view

Legend:

1

Expert verified points

3

Unverified points

Observed by users on these tree species

 

Most sightings of the species


Last observations

There are a total of 1 observations of the species in the system


Similar damage

Leaf beetles on raspberries

Leaf beetles on raspberries

American grape leafminer

American grape leafminer

September thorn

September thorn

Citrus leafminer

Citrus leafminer

Back to top