Chaitophorus populeti
Poplar-shoot aphid
Description
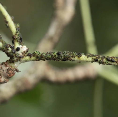
Aphids, 2-3 mm in length, color brown or dark green to black. Young stages green with black pattern. It lives in a colonies situated on the tips of young shoots or leaves petioles, less often also at the underside of leaves. Colonies are intensively attended by ants. They are harmful in forest stands and also on trees in an urban environment. They occur abundantly in the months of May - June. Similar damages are caused by Ch. populialbae.
Symptom
Dark winged aphids at tips of young shoots or leaves petioles, living in a colony. Intensively attended by ants.
Tree Species: Poplar
Part of a plant- attacked: Leaf / Needle
Pest significance: Less harmful
Pest Category: Insects
Invasive Species: No
Present in EU: Yes
Add comment: Chaitophorus populeti
Location map: Chaitophorus populeti
Legend:

Expert verified points

Unverified points


