Login | Registration | List of contributors

« Back

Bucculatrix frangutella

Buckthorn tuft

Description

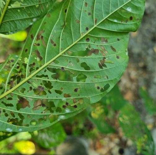
Bucculatrix frangutella is a small moth of the family Bucculatricidae whose larvae develop on alder buckthorn (Frangula alnus) and common buckthorn (Rhamnus cathartica). The species is univoltine and overwinters in the pupal stage inside a characteristic ribbed cocoon. Adults are on the wing in June and July. Young larvae create conspicuous spiral mines on the leaves, filled with dark frass. Later they leave the mine and feed externally on the underside of the leaves, producing small window-like feeding marks. The species is widespread in Europe in habitats where buckthorn occurs. The intensity of infestation is usually low, but under strong attack the feeding windows may merge into larger holes, sometimes leading to more extensive leaf damage and a reduction in the ornamental value of shrubs.

Symptom

Spiral leaf mines filled with dark frass; later small translucent windows on the underside of leaves, which may merge so that only the veins remain.

Tree Species: Alder Buckthorn, Purging buckthorn

Part of a plant- attacked: Leaf / Needle

Pest significance: Less harmful

Pest Category: Insects

Invasive Species: No

Present in EU: Yes


Add comment: Bucculatrix frangutella


Location map: Bucculatrix frangutella

print view

Legend:

1

Expert verified points

3

Unverified points

Observed by users on these tree species

 

Most sightings of the species


Last observations

There are a total of 1 observations of the species in the system


Similar damage

Pine needle rust

Pine needle rust

Leaf blotch miner moth

Leaf blotch miner moth

Leaf miner Phyllonorycter heegeriella

Leaf miner Phyllonorycter heegeriella

Lime bent-wing moth

Lime bent-wing moth

Back to top