Login | Registration | List of contributors

« Back

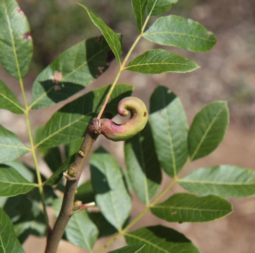
Baizongia pistaciae

Pistacia horn gall aphid

Description

 

Pistacia horn gall aphid Baizongia pistaciae is an aphid species that primarily forms large, horn-shaped galls on Pistacia trees, especially Pistacia terebinthus and its subspecies. It has a two-year holocyclic life cycle in Mediterranean regions, alternating between Pistacia trees as the primary host and grass roots (Poaceae) as the secondary host. In the spring, the aphids induce gall formation on young shoots of Pistacia trees, with galls growing up to 10-20 cm long. These galls host several parthenogenetic generations until winged adults (alates) emerge in late summer and migrate to the roots of grasses, where they form underground colonies. In areas where Pistacia is absent, the aphid remains anholocyclic, living entirely on grass roots. The species is distributed across the Mediterranean, the Middle East, parts of Asia, North Africa, and even some regions of India. Pistacia horn gall aphid Baizongia pistaciae colonies are often tended by ants, which protect them from predators.

Symptom

Pistacia horn gall aphid causes the formation of large, horn-like galls on Pistacia trees and weakens grasses by feeding on their roots, leading to reduced plant growth and vigor.

Tree Species: Pistacia

Part of a plant- attacked: Leaf / Needle

Pest significance: Less harmful

Pest Category: Insects

Invasive Species: No

Present in EU: Yes


Add comment: Baizongia pistaciae


Location map: Baizongia pistaciae

Legend:

1

Expert verified points

3

Unverified points

Observed by users on these tree species


Similar damage

Common periphyllus aphid

Common periphyllus aphid

Mite Aceria cerreus

Mite Aceria cerreus

Hebrew character

Hebrew character

Oleander aphid

Oleander aphid

Back to top