Login | Registration | List of contributors

« Back

Aphrophora salicina

Willow spittlebug

Description

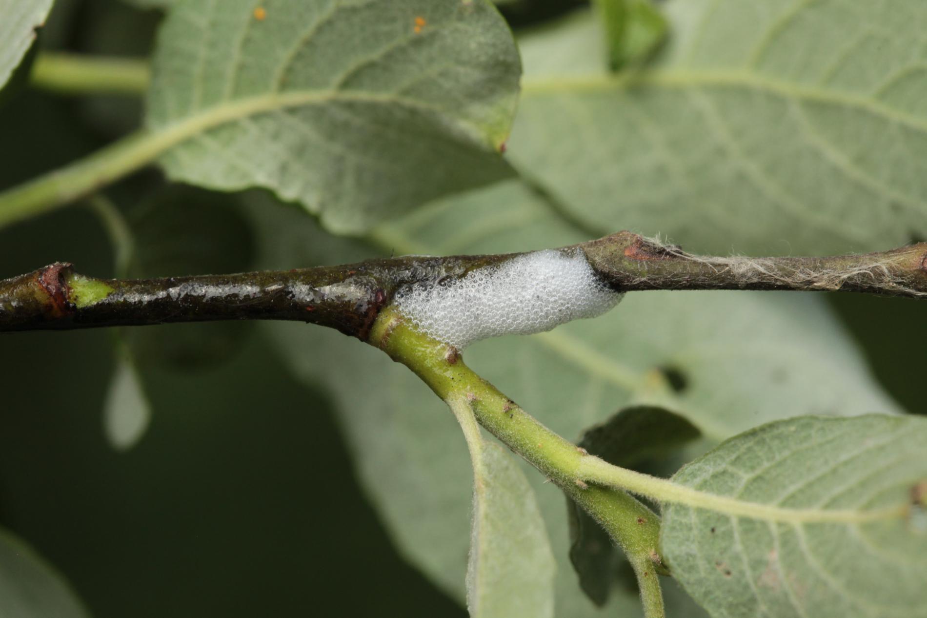
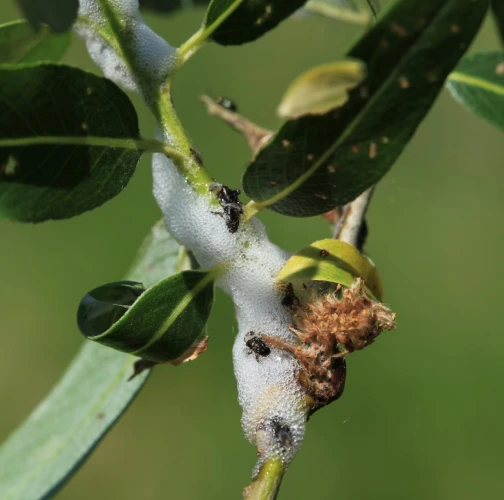
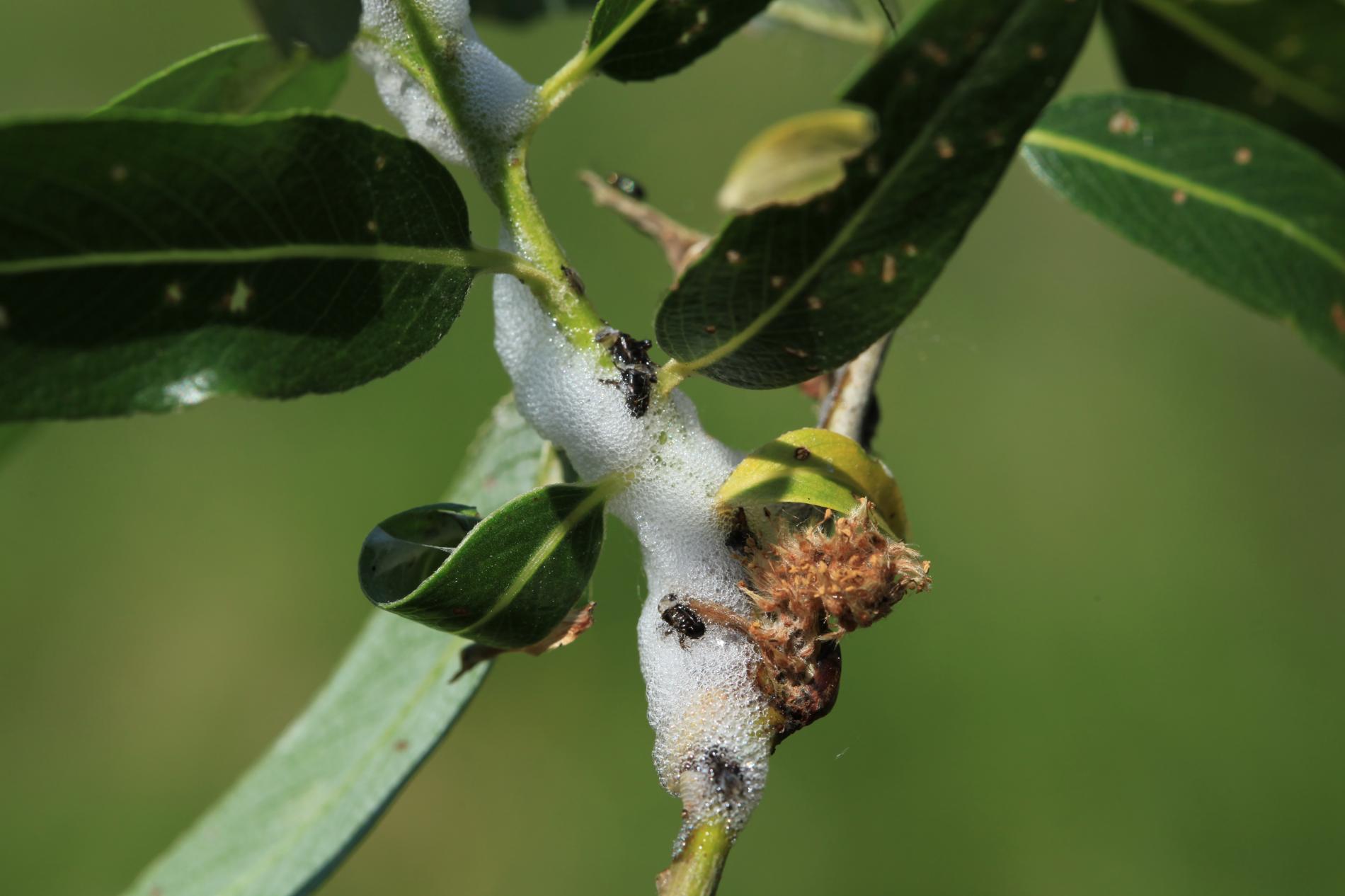
Spittlebug occurrence is striking by spittle, foam formations forming larvae in the places of sucking. In case of widespread occurrence, it seems “to be raining” under the attacked trees also during sunny weather. It is a liquid dripping from foam formations. In the formations live larvae that by their activity can weaken the trees and cause damage to osiers. Adult willow spittlebug is about 1 cm long insect belonging to cicadas.  

Symptom

Spittlebug occurrence is striking by spittle, foam formations forming larvae in the places of sucking.

Tree Species: Poplar, Willow

Part of a plant- attacked: Leaf / Needle

Pest significance: Harmful

Pest Category: Insects

Invasive Species: No

Present in EU: Yes


Add comment: Aphrophora salicina


Location map: Aphrophora salicina

print view

Legend:

1

Expert verified points

3

Unverified points

Observed by users on these tree species

 


Last observations

There are a total of 9 observations of the species in the system

Aphrophora salicina Willow spittlebug
Anonymous contributor
Number of votes: 0
Published: 18.5.2025

Vladimír Kanaš

Aphrophora salicina Willow spittlebug
Vladimír Kanaš
Number of votes: 0
Published: 16.6.2024

Danci

Aphrophora salicina Willow spittlebug
Danci
Number of votes: 0
Published: 12.5.2024

Milan Zubrik

Aphrophora salicina Willow spittlebug
Milan Zubrik
Number of votes: 0
Published: 10.5.2024

Tomáš

Aphrophora salicina Willow spittlebug
Tomáš
Number of votes: 0
Published: 25.5.2022


Similar damage

Willow Leaf Beetle

Willow Leaf Beetle

Garden chafer

Garden chafer

Leaf beetle Chrysomela vigintipunctata

Leaf beetle Chrysomela vigintipunctata

Poplar leaf beetle

Poplar leaf beetle

Back to top