Login | Registration | List of contributors

« Back

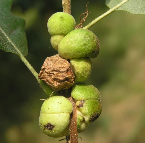
Aphelonyx cerricola

Gall wasp Aphelonyx cerricola

Description

Only an asexual generation is known. An unilocular bud gall developing on shoots and young branches, singly or often in groups, commonly encircling the stem. They are 10-30 mm long, first green, later turning brown and wrinkly. They often twine the twig around. The species has been more and more common recently. It is spread from South to North in connection with climate changes and it has been already noticed also in northern territories.  

Symptom

Gall wasp are 10-30 mm long, first green, later turning brown and wrinkly. They often twine the twig around.

Tree Species: Oak

Part of a plant- attacked: Branch

Pest significance: Less harmful

Pest Category: Insects

Invasive Species: No

Present in EU: Yes


Add comment: Aphelonyx cerricola


Location map: Aphelonyx cerricola

print view

Legend:

1

Expert verified points

3

Unverified points

Observed by users on these tree species

 

Most sightings of the species


Last observations

There are a total of 1 observations of the species in the system

Marián Slamka

Aphelonyx cerricolaGall wasp Aphelonyx cerricola
Marián Slamka
Number of votes: 0
Published: 1.4.2023

majo

Aphelonyx cerricolaGall wasp Aphelonyx cerricola
majo
Number of votes: 0
Published: 1.4.2023


Similar damage

Knopper gall

Knopper gall

Oak apple gall wasp

Oak apple gall wasp

Gall midge Harmandiola tremulae

Gall midge Harmandiola tremulae

Oak gall wasp Pseudoneuroterus macropterus

Oak gall wasp Pseudoneuroterus macropterus

Back to top