Login | Registration | List of contributors

« Back

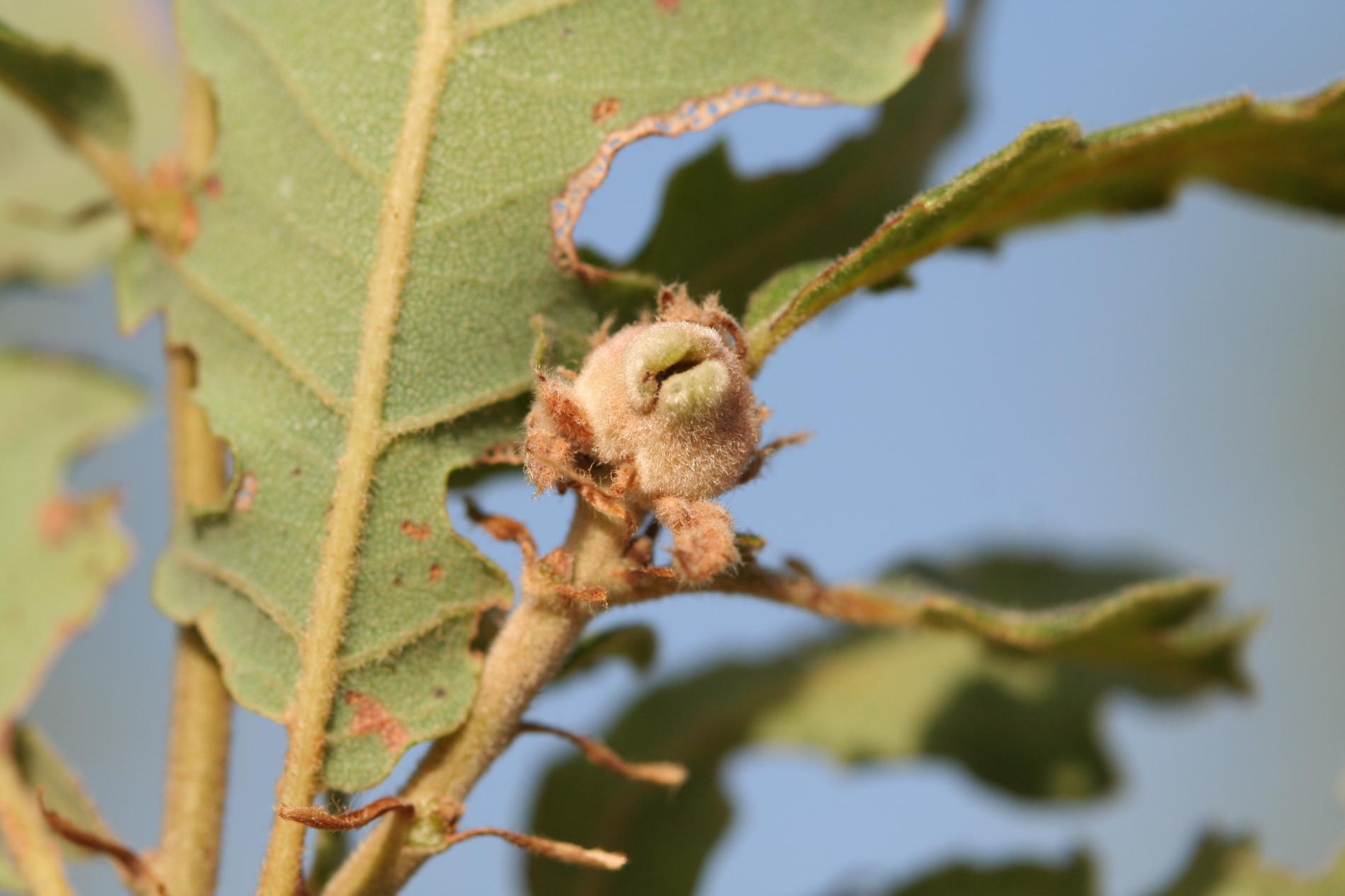
Andricus tomentosus

Gall wasp Andricus tomentosus

Description

Wide conical, up to 2 cm high gall. With an opening on the top - often pointy on top. It is often attached to a twig at its base and often more or less surrounds the shoot. The gall is densely covered with rusty-ocher felt.

Symptom

Wide conical, up to 2 cm high gall. The gall is densely covered with rusty-ocher felt.

Tree Species: Oak

Part of a plant- attacked: Branch

Pest significance: Less harmful

Pest Category: Insects

Invasive Species: No

Present in EU: Yes


Add comment: Andricus tomentosus


Location map: Andricus tomentosus

Legend:

1

Expert verified points

3

Unverified points

Observed by users on these tree species


Similar damage

Striped pea gall wasp

Striped pea gall wasp

Gall wasp Andricus quercusradicis

Gall wasp Andricus quercusradicis

Gall wasp Andricus hungaricus

Gall wasp Andricus hungaricus

Common spangle gall

Common spangle gall

Back to top