Login | Registration | List of contributors

« Back

Andricus solitarius

Gall wasp Adricus solitarius

Description

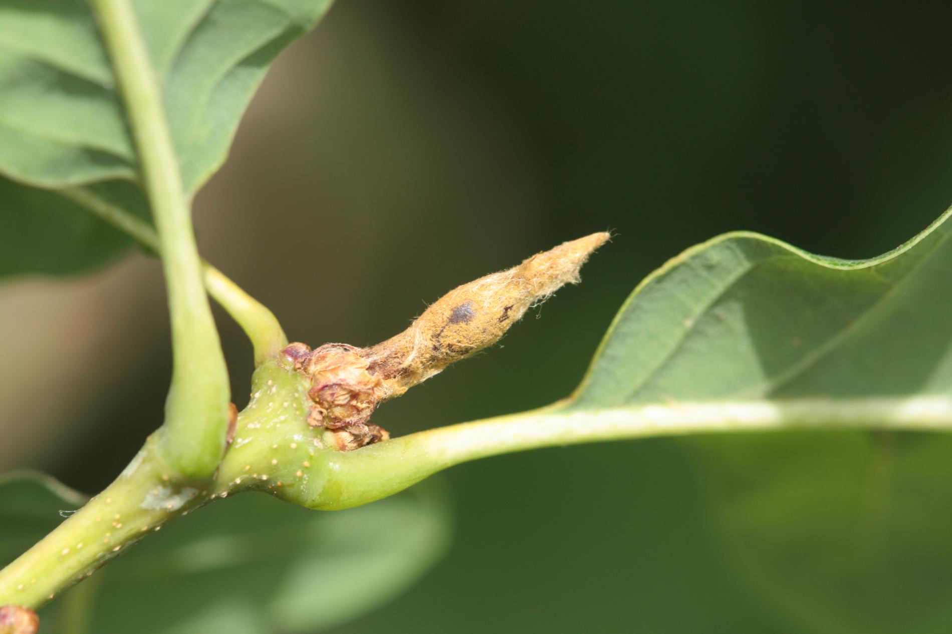
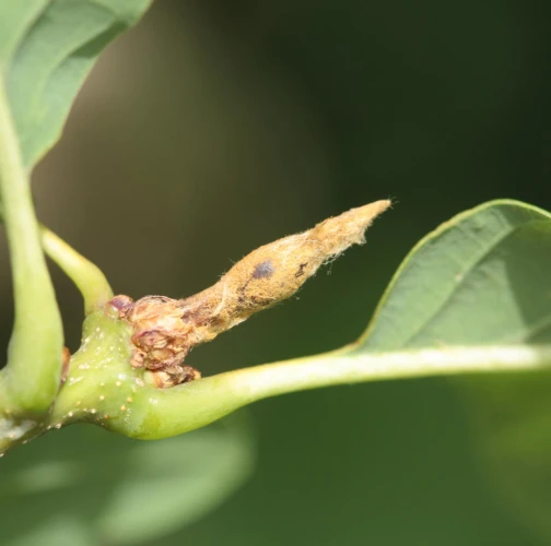
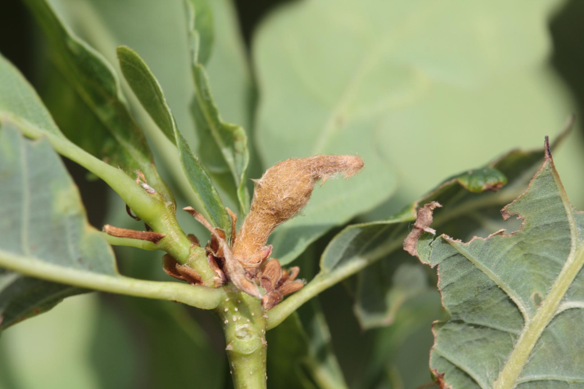
Among buds at the end of twigs is formed a bottle-like gall,  0.5-2.0 cm in size. It is brown and it has a felt, hairy surface. After the gall dries out, the fine hair disappears. In autumn, after leaves fall off, they are more easily observed. The small wasp leaves the gall through the round exit hole on its lateral side.

Symptom

Among buds at the end of twigs is formed a bottle-like gall,  0.5-2.0 cm in size.

Tree Species: Oak

Part of a plant- attacked: Branch

Pest significance: Less harmful

Pest Category: Insects

Invasive Species: No

Present in EU: Yes


Add comment: Andricus solitarius


Location map: Andricus solitarius

Legend:

1

Expert verified points

3

Unverified points

Observed by users on these tree species


Similar damage

Gall wasp Andricus lucidus

Gall wasp Andricus lucidus

Gall wasp Andricus glutinosus

Gall wasp Andricus glutinosus

Cola-nut gall wasp

Cola-nut gall wasp

Gall wasp Andricus quercusradicis

Gall wasp Andricus quercusradicis

Back to top