Andricus quercusradicis
Gall wasp Andricus quercusradicis
Description
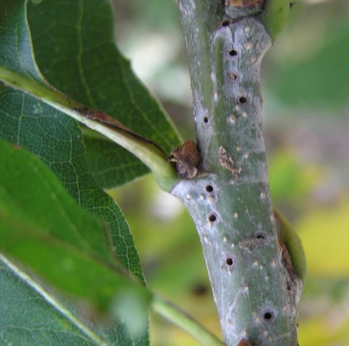
The unisexual generation, which takes two year to develop, forms a globular, multilocular gall 25-60 mm in diameter on roots or twigs. The adults emerge in spring and the female lays eggs on oak twigs in spring. The larvae bore into wood where they excavate narrow galleries. They leave the place of feeding in August through round exit holes arranged in a line one above the other. As a result of feeding, the twig is weakened and can be more easily broken by wind or mechanic pressure. The species is common in Central Europe on all oak species including Quercus cerris, however, damage appears only on a small scale.
Symptom
The unisexual generation, forms a globular, multilocular gall 25-60 mm in diameter on roots or twigs.
Tree Species: Oak
Part of a plant- attacked: Branch
Pest significance: Harmful
Pest Category: Insects
Invasive Species: No
Present in EU: Yes
Add comment: Andricus quercusradicis
Location map: Andricus quercusradicis
print viewLegend:

Expert verified points

Unverified points
Observed by users on these tree species
Most sightings of the species
Last observations
There are a total of 1 observations of the species in the system
Andricus quercusradicisGall wasp Andricus quercusradicis
Marián Slamka
Number of votes: 0
Published: 12.3.2022


