Login | Registration | List of contributors

« Back

Andricus inflator

Gall wasp Andricus inflator

Description

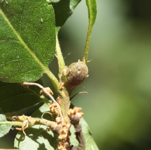
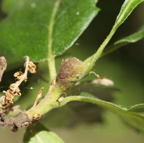
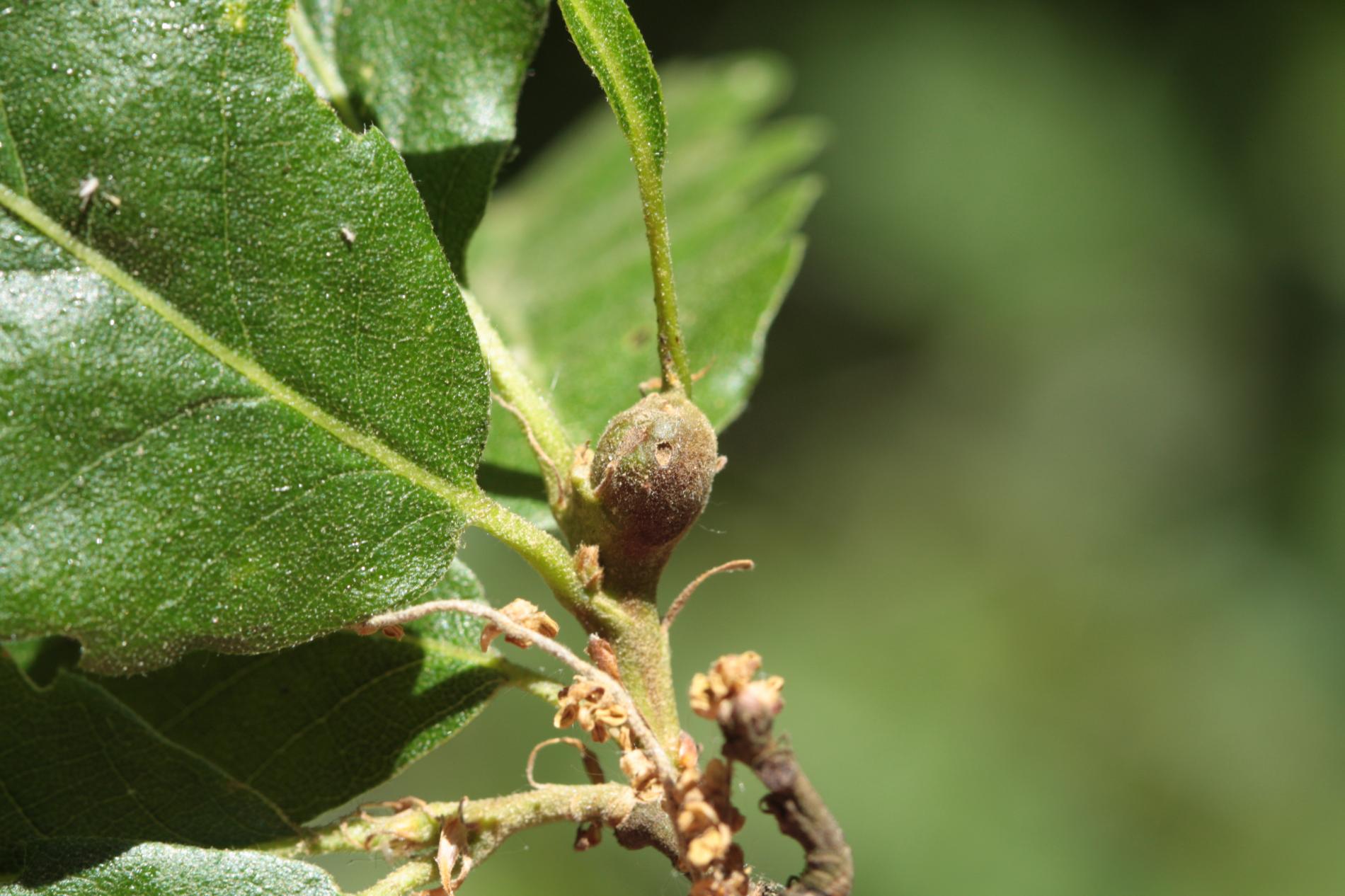
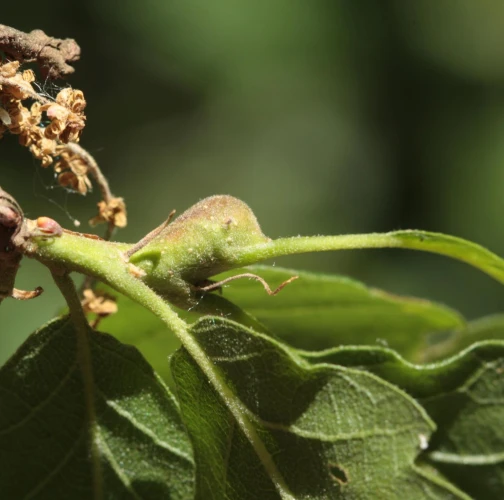
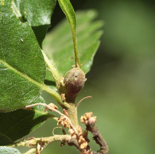
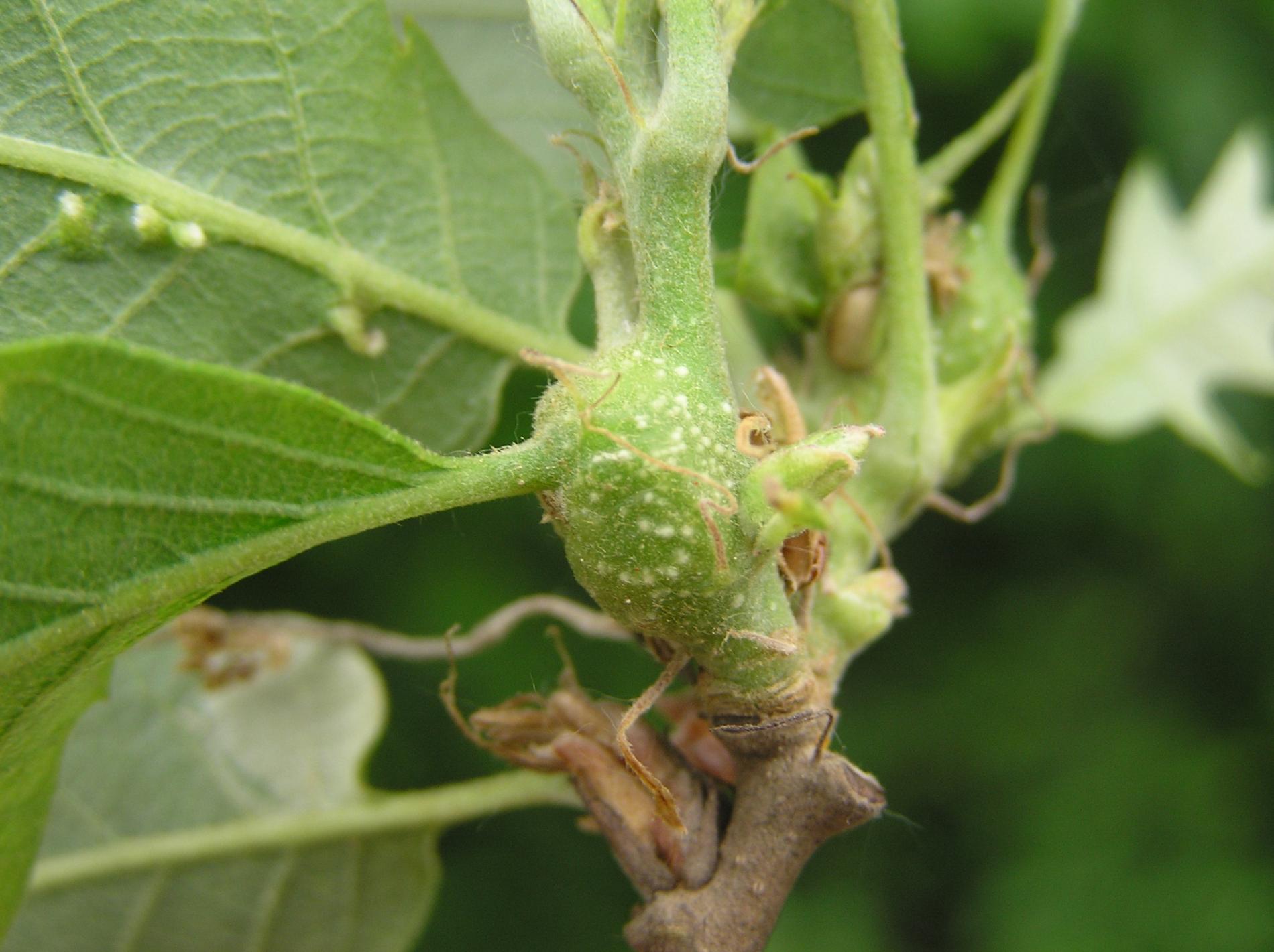
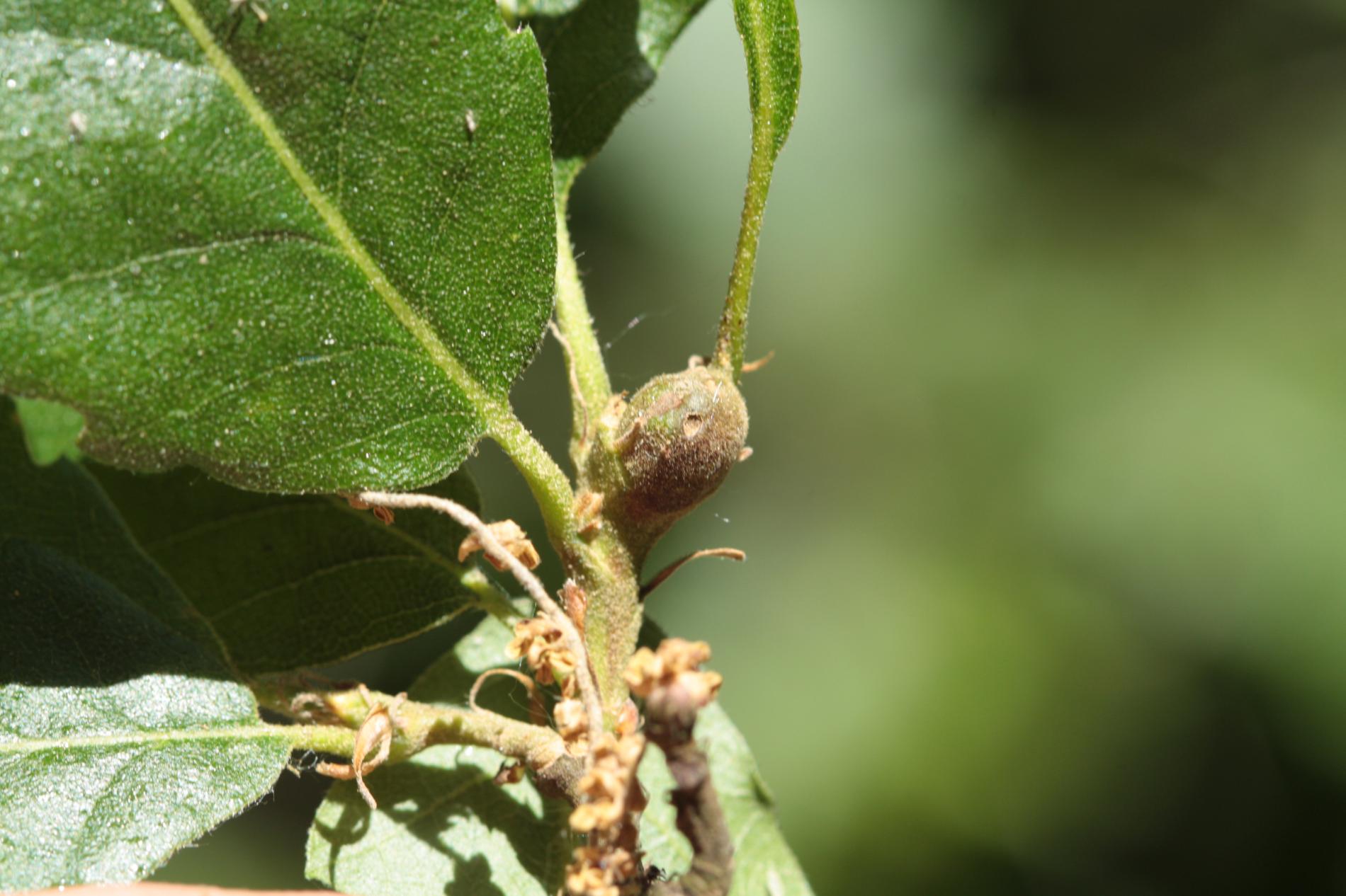
Like many gall wasps it has 2 generations per cycle whereas one is bisexual and the other unisexual (all female who can lay fertile eggs without the need to mate). Each of these two generations creates a different gall on the host tree that is oak. Swollen tip of twig has colour like green leaf, and later after drying it is brown.  Buds develop normally above the gall and twig grows the first year normally as well. After the gall dries small twig usually dies. Agamid generation forms small, round shaped, light-red gall in the leaf brachium in the place of swollen bud.

Symptom

Swollen tip of twig has colour like green leaf, and later after drying it is brown. Buds develop normally above the gall and twig grows the first year normally as well.

Present in EU: Yes


Add comment: Andricus inflator


Location map: Andricus inflator

Legend:

1

Expert verified points

3

Unverified points

Observed by users on these tree species


Similar damage

Gall wasp Adricus solitarius

Gall wasp Adricus solitarius

Oak apple gall wasp

Oak apple gall wasp

Gall wasp Andricus quercustozae

Gall wasp Andricus quercustozae

Gall wasp Andricus glutinosus

Gall wasp Andricus glutinosus

Back to top