Andricus grossulariae (=mayri)
Gall wasp Andricus grossulariae
Description
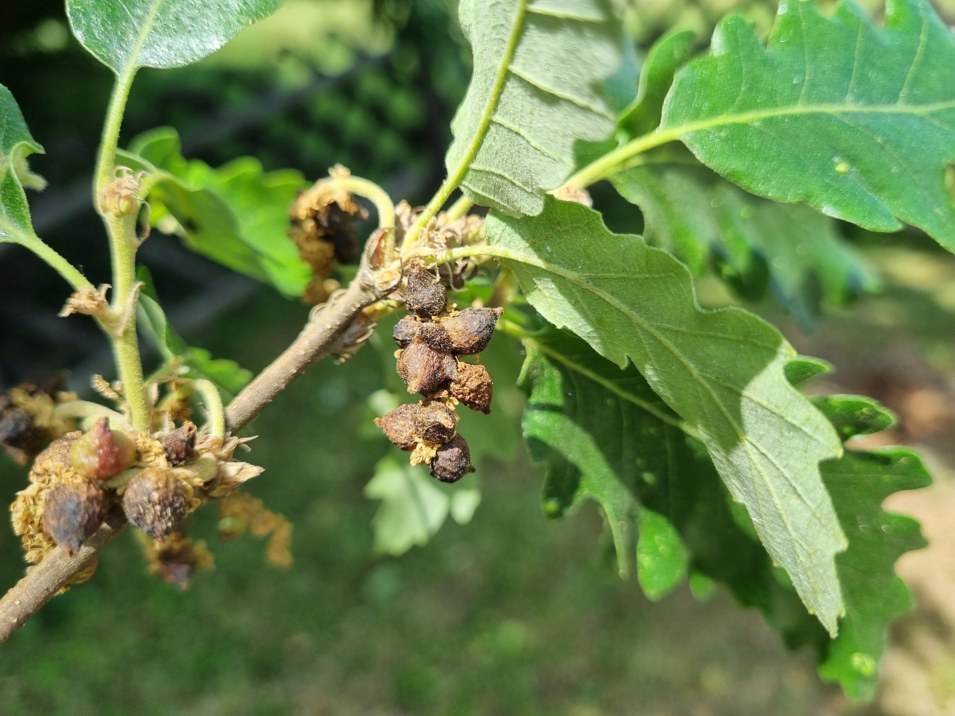
Andricus grossulariae is a gall wasp that induces characteristic acorn cup galls on oaks (Quercus spp.). Also known under the name Andricus mayri. The asexual generation develops inside acorns, with the gall remaining almost entirely hidden within the acorn cupule or bud, featuring a bunch of fleshy appendages on top. The sexual generation forms small, rounded galls on male catkins of Quercus cerris, often appearing in clusters. This species is monophagous, primarily infesting Quercus cerris, Q. frainetto, Q. infectoria, Q. lusitanica, Q. petraea, Q. pubescens, Q. pyrenaica, and Q. robur. It is distributed across Europe, particularly in temperate and warm regions. Although gall formation does not significantly harm host trees, high gall densities can affect acorn production and, in some cases, distort flower structures.
Symptom
The galls of the asexual generation are round, partially embedded in the acorn cupule, with many fleshy lobes on top. The sexual generation galls appear as small, hairy, spherical swellings on male catkins, sometimes forming dense clusters.
Tree Species: Oak
Part of a plant- attacked: Leaf / Needle
Pest significance: Less harmful
Pest Category: Insects
Invasive Species: No
Present in EU: Yes
Add comment: Andricus grossulariae (=mayri)
Location map: Andricus grossulariae (=mayri)
Legend:

Expert verified points

Unverified points


