Login | Registration | List of contributors

« Back

Andricus curvator

Gall wasp Andricus curvator

Description

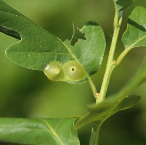
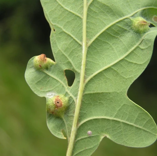
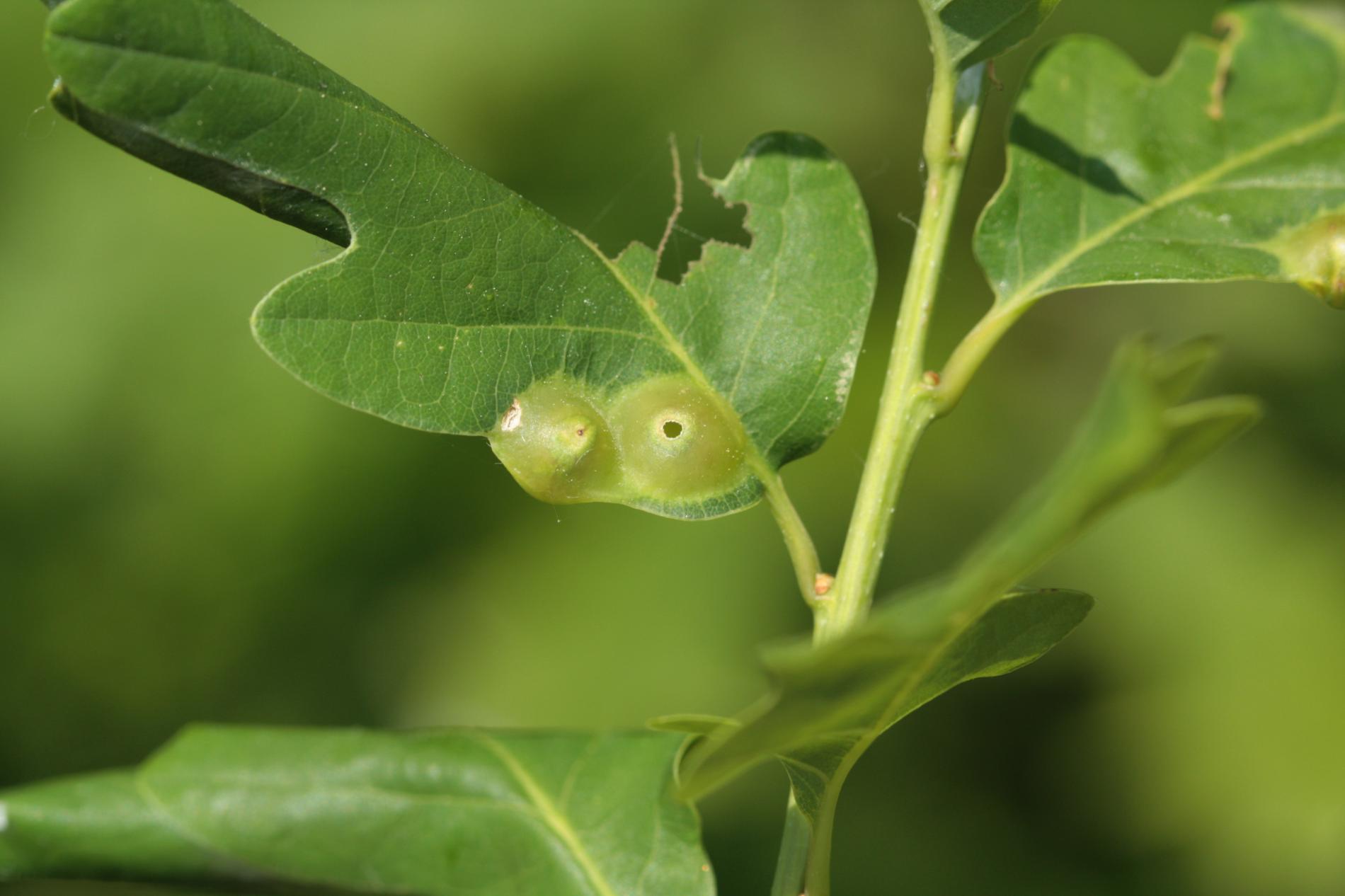
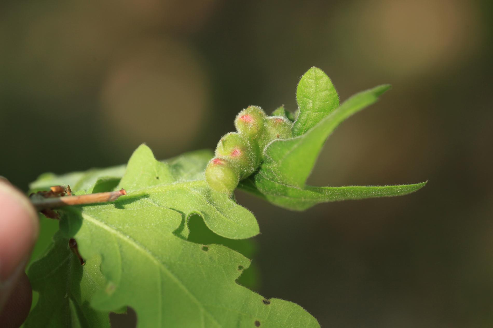
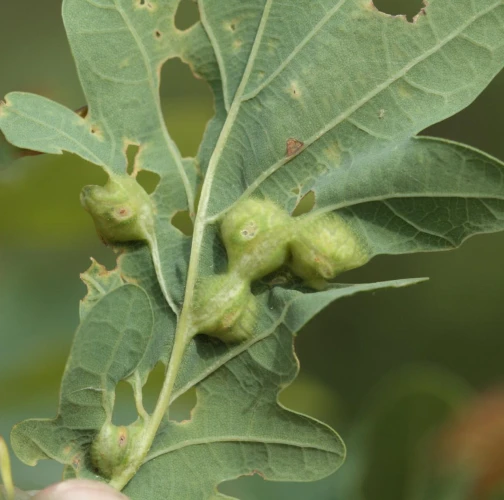
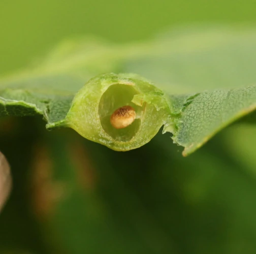
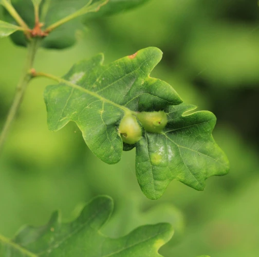
On leaves are formed green sexual galls, about 5 mm in size, similar to lumps. Their upper part is brownish red. The galls are visible from both sides of the leaf. They occur on a veinlet, less commonly in the interveinal space. The larva lives in the gall where it also pupates. After gall having dried out, a matured wasp leaves the gall. The adults occur in spring, in March and April, the second (sexual) generation in June.

Symptom

On leaves are formed green sexual galls, about 5 mm in size, similar to lumps. Their upper part is brownish red. The galls are visible from both sides of the leaf.

Tree Species: Oak

Part of a plant- attacked: Leaf / Needle

Pest significance: Less harmful

Pest Category: Insects

Invasive Species: No

Present in EU: Yes


Add comment: Andricus curvator


Location map: Andricus curvator

Legend:

1

Expert verified points

3

Unverified points

Observed by users on these tree species


Similar damage

Gall wasp Andricus crispator

Gall wasp Andricus crispator

Knopper gall

Knopper gall

Oak marble gall Andricus kollari

Oak marble gall Andricus kollari

Cynipid gall wasp Cynips quercusfolii

Cynipid gall wasp Cynips quercusfolii

Back to top