Login | Registration | List of contributors

« Back

Andricus crispator

Gall wasp Andricus crispator

Description

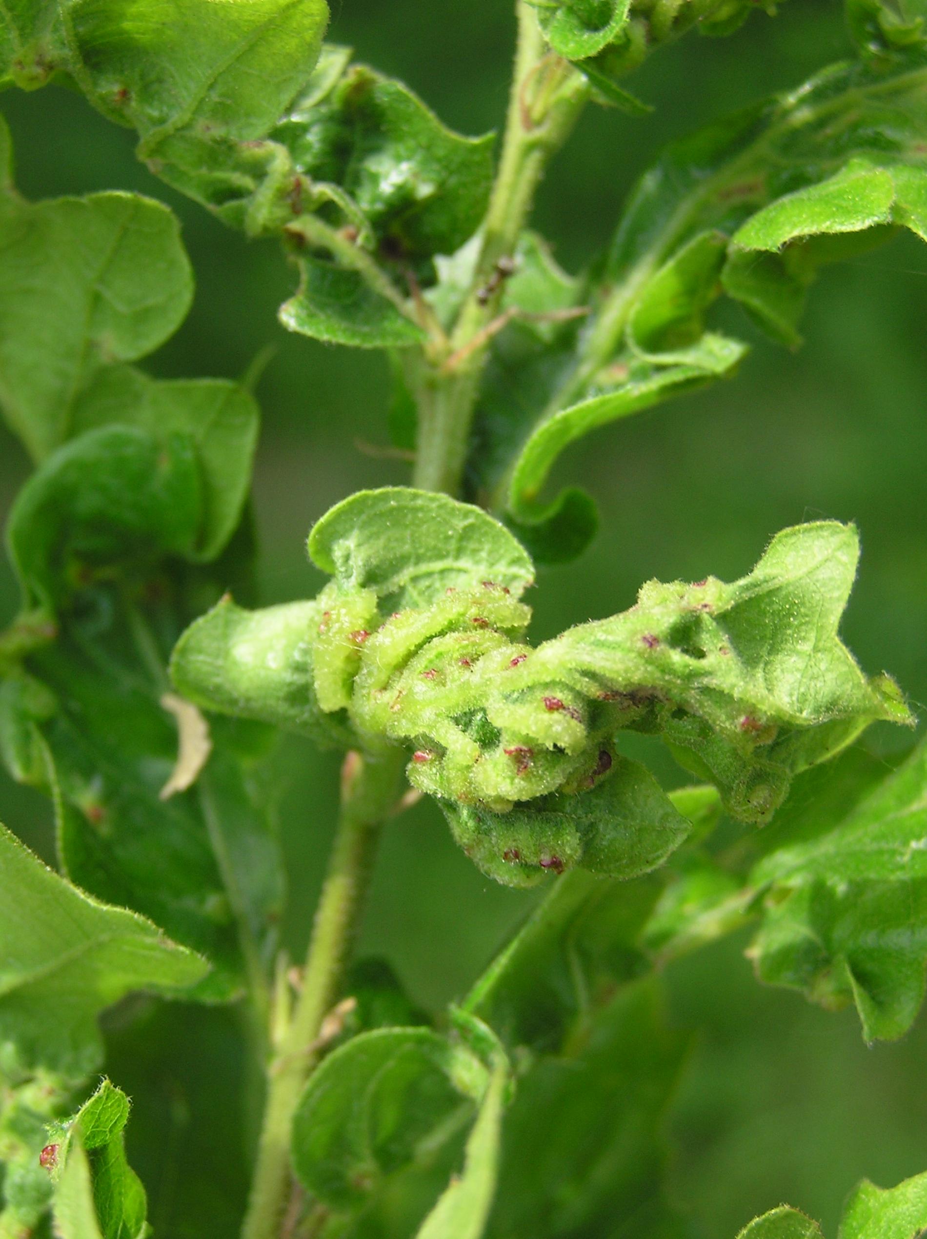
On the Turkey oak leaves are formed irregular deformations. The leaves are thickened; in some places they have greenish red swellings. Deformations and tumorous thickening affect leaves blades and also stalks.

Symptom

The leaves are thickened; in some places they have greenish red swellings. Deformations and tumorous thickening affect leaves blades and also stalks.

Tree Species: Oak

Part of a plant- attacked: Leaf / Needle

Pest significance: Less harmful

Pest Category: Insects

Invasive Species: No

Present in EU: Yes


Add comment: Andricus crispator


Location map: Andricus crispator

print view

Legend:

1

Expert verified points

3

Unverified points

Observed by users on these tree species

 

Most sightings of the species


Last observations

There are a total of 1 observations of the species in the system

Marián Slamka

Andricus crispator Gall wasp Andricus crispator
Marián Slamka
Number of votes: 0
Published: 30.5.2025


Similar damage

Cynipid gall wasp Cynips quercusfolii

Cynipid gall wasp Cynips quercusfolii

Oak apple gall wasp

Oak apple gall wasp

Knopper gall

Knopper gall

Oak marble gall Andricus kollari

Oak marble gall Andricus kollari

Back to top