Login | Registration | List of contributors

« Back

Anacampsis populella

Poplar roller

Description

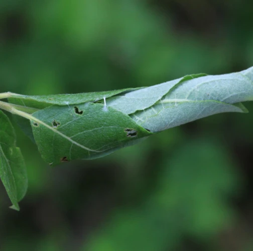
The poplar roller Anacampsis populella is a moth of the family Gelechiidae. It is native to Europe and it has been accidentally introduced to North America. It has one generation per year, adults live in the summer. Larvae live in rolled leaves. These tend to be noticeable and abundant in the spring, for example on aspen. Some other species also roll up their leaves in a similar way, which is why we draw your attention to the possibility of confusion. Similar species Anacampsis blattariella lives on birch.

Symptom

Larvae exhibit a unique behavior where they roll a leaf of their host plant predominantly (but not exclusively) longitudinally along the midrib, creating a sheltered feeding area. It is very typical that the leaf is kept rolled up with the help of short white ties made of white fibers, which the caterpillar uses to strengthen the leaf blade. These white ties are typical also for other species of Gelechidae and are not found in species of Tortricidae, which also curl leaves in a similar manner.

Tree Species: Poplar, Willow

Part of a plant- attacked: Leaf / Needle

Pest significance: Less harmful

Pest Category: Insects

Invasive Species: No

Present in EU: Yes


Add comment: Anacampsis populella


Location map: Anacampsis populella

Legend:

1

Expert verified points

3

Unverified points

Observed by users on these tree species


Similar damage

Pappelrost

Pappelrost

Ypsolopha ustella

Ypsolopha ustella

Orange spruce needleminer

Orange spruce needleminer

Spring usher

Spring usher

Back to top