Login | Registration | List of contributors

« Back

Aculus tetanothrix

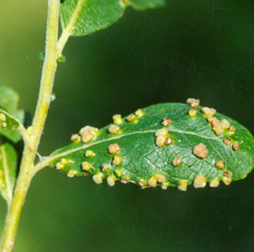
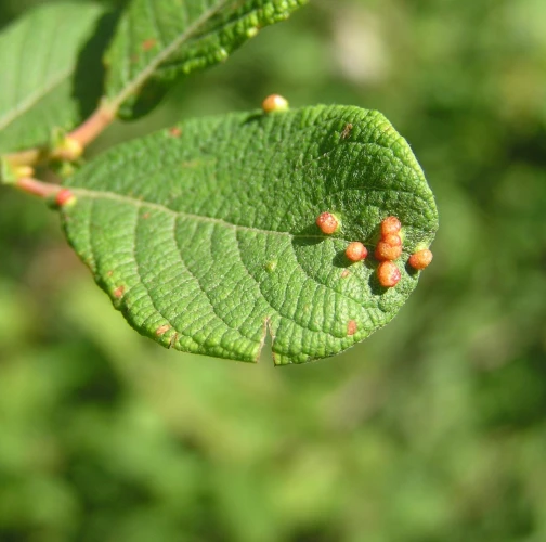
Gall mite Aculus tetanothrix

Description

About 2–3 mm papillary outgrowths are formed on the upper side of the leaf. They are greenish red, hairy, and they occur in groups.

Symptom

Small galls on the upper side of the leaves.

Tree Species: Willow

Part of a plant- attacked: Leaf / Needle

Pest significance: Less harmful

Pest Category: Mites

Invasive Species: No

Present in EU: Yes


Add comment: Aculus tetanothrix


Location map: Aculus tetanothrix

Legend:

1

Expert verified points

3

Unverified points

Observed by users on these tree species


Similar damage

Mite Aceria macrorhyncha

Mite Aceria macrorhyncha

Mite Aceria campestricola

Mite Aceria campestricola

Gall mite Aceria tristriata

Gall mite Aceria tristriata

Gall mite Eriophyes similis

Gall mite Eriophyes similis

Back to top