Aculus craspedobius
Gall mite Aculus craspedobius
Description
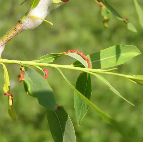
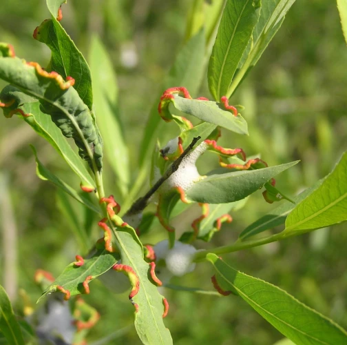
Aculus craspedobius is an eriophyid mite that develops on willows (Salix spp.), where it induces small gall-like deformations on the leaves. Adults overwinter in buds and migrate to young foliage in spring, where they feed and reproduce. Several generations occur each year, and the mites can persist throughout the growing season. The species is widespread in many parts of Europe. Infestation intensity is usually not strong, but in cases of higher numbers, repeated damage may reduce the assimilation area of leaves and thus worsen the overall vitality and ornamental value of host trees and shrubs.
Symptom
On willow leaves are small (often yellow to red colored) marginal rolls or slight leaf distortions, often accompanied by discoloration.
Tree Species: Willow
Part of a plant- attacked: Leaf / Needle
Pest significance: Less harmful
Pest Category: Mites
Invasive Species: No
Present in EU: Yes
Add comment: Aculus craspedobius
Location map: Aculus craspedobius
Legend:

Expert verified points

Unverified points


