Login | Registration | List of contributors

« Back

Acrocercops brongniardella

Leaf blotch miner moth

Description

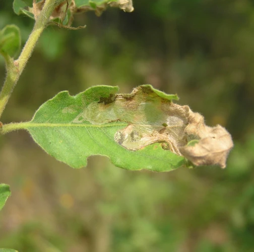
Acrocercops brongniardella, known as the leaf blotch miner moth, is a small moth from the Gracillariidae family with a wingspan of 8–10 mm. This species is widespread in Europe, including Turkey, and primarily infests oak species (Quercus spp.), such as Quercus ilex (holm oak), Quercus robur (English oak), and Quercus cerris (Turkey oak). Occasionally, it can also be found on Castanea sativa (sweet chestnut). The larvae mine leaves in the upper epidermis, forming irregular, large, silver-white blotches that may coalesce, resulting in significant aesthetic damage to infested foliage. The mining activities rarely harm the tree’s health but can impact the ornamental value of oaks, particularly in gardens and parks.

Symptom

Leaves display irregular, large, silver-white blotches on the upper surface. These blotches are often covering significant part of the leaf. The mine begins as a narrow winding line, later expanding into a blotch mine.

Tree Species: Oak, Chestnut

Part of a plant- attacked: Leaf / Needle

Pest significance: Less harmful

Pest Category: Insects

Invasive Species: No

Present in EU: Yes


Add comment: Acrocercops brongniardella


Location map: Acrocercops brongniardella

Legend:

1

Expert verified points

3

Unverified points

Observed by users on these tree species


Similar damage

Soft scale

Soft scale

Leaf blotch miner moth

Leaf blotch miner moth

Walnut leaf miner

Walnut leaf miner

Oak lace bug

Oak lace bug

Back to top