Login | Registration | List of contributors

« Back

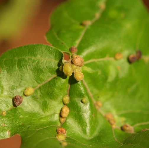
Aceria macrochela

Gall mite Aceria macrochela

Description

On the upper side of field maple leaves are found up to 2 mm long, round, pale green, fine hairy galls. They usually occur in groups of 10–20. They are located on veinlets. 2–4 of them are almost always located at the juncture of the leaf stem and blade. Acer campestre is a preferable host of this species, which can sporadically occur on other maple species as well.

Symptom

Small tumorous formations on the upper side of the leaves, always located on the veins.

Tree Species: Maple

Part of a plant- attacked: Leaf / Needle

Pest significance: Less harmful

Pest Category: Mites

Invasive Species: No

Present in EU: Yes


Add comment: Aceria macrochela


Location map: Aceria macrochela

print view

Legend:

1

Expert verified points

3

Unverified points

Observed by users on these tree species

 


Last observations

There are a total of 4 observations of the species in the system

Milan Zúbrik

Aceria macrochela Gall mite Aceria macrochela
Milan Zúbrik
Number of votes: 0
Published: 14.5.2025

Marián Slamka

Aceria macrochela Gall mite Aceria macrochela
Marián Slamka
Number of votes: 0
Published: 8.10.2023

majo

Aceria macrochela Gall mite Aceria macrochela
majo
Number of votes: 0
Published: 8.10.2023

Tomáš Pecuch

Aceria macrochela Gall mite Aceria macrochela
Tomáš Pecuch
Number of votes: 0
Published: 19.6.2023

Tomáš Pecuch

Aceria macrochela Gall mite Aceria macrochela
Tomáš Pecuch
Number of votes: 0
Published: 19.6.2023


Similar damage

Gall mite Phytoptus tetratrichus

Gall mite Phytoptus tetratrichus

Plum leaf gall mite

Plum leaf gall mite

Mite Aceria macrorhyncha

Mite Aceria macrorhyncha

Gall mite Eriophyes nervalis

Gall mite Eriophyes nervalis

Back to top