Login | Registration | List of contributors

« Back

Aceria cerreus

Mite Aceria cerreus

Description

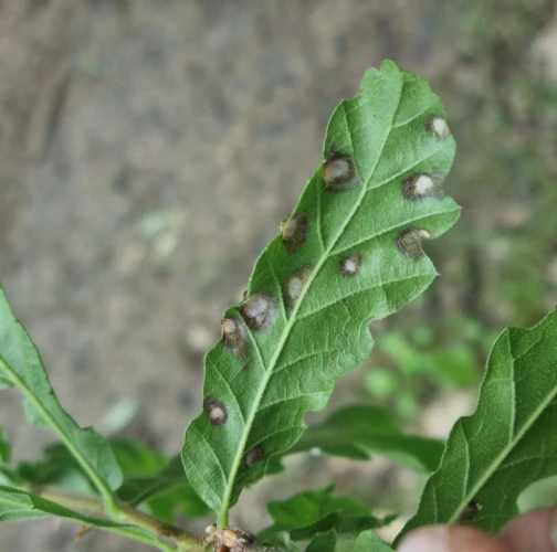
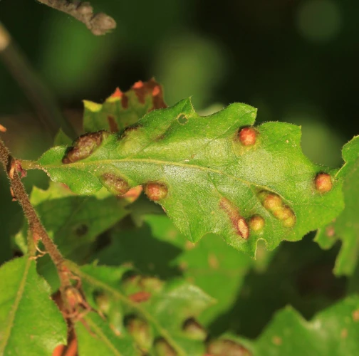
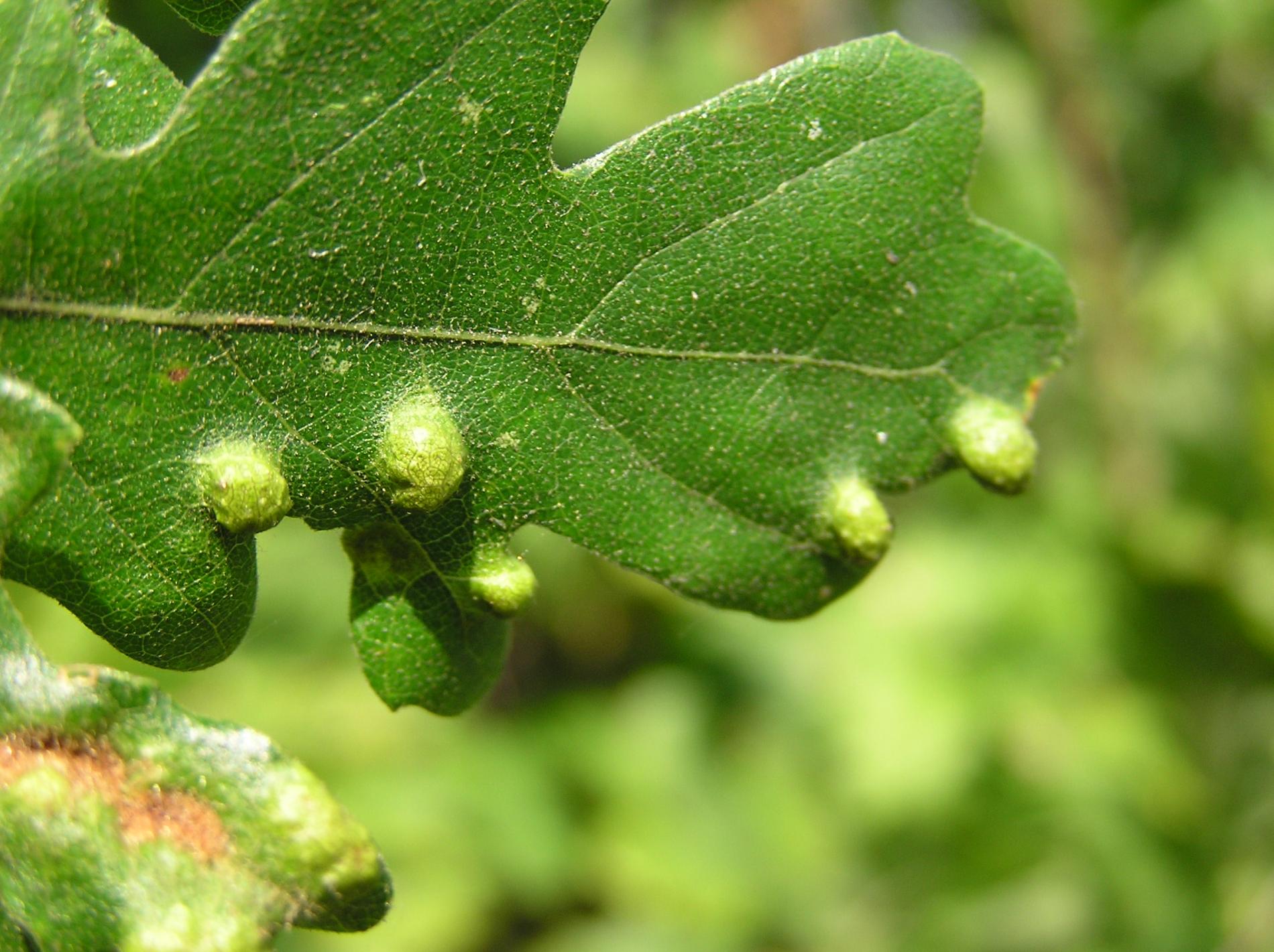
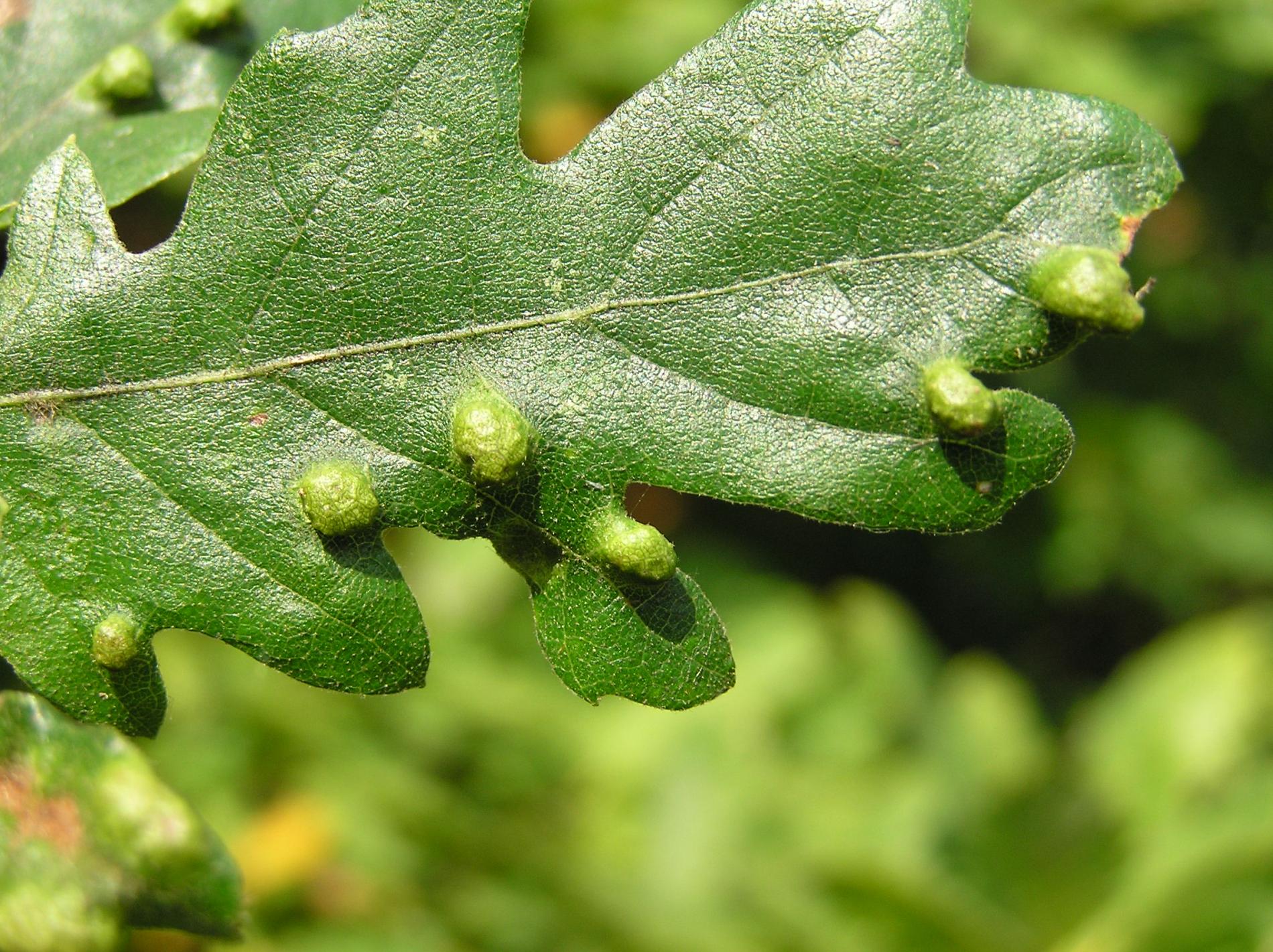
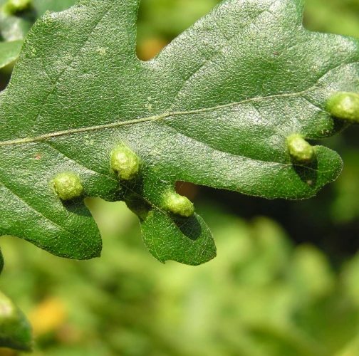
Blister-like bumps on the upper leaf surface of irregular shape and size. Corresponding underside of bulges is covered by an erineum. Hairs can have different shape. Creamy-white to red when young, later becoming darker, even brown. Its impact on health status of the tree is only negligible, they can reduce the aesthetic value of the tree.

Symptom

Blister-like bumps on the upper leaf surface of irregular shape and size. Corresponding underside of bulges is covered by an erineum.

Tree Species: Oak

Part of a plant- attacked: Leaf / Needle

Pest significance: Less harmful

Pest Category: Mites

Invasive Species: No

Present in EU: Yes


Add comment: Aceria cerreus


Location map: Aceria cerreus

print view

Legend:

1

Expert verified points

3

Unverified points

Observed by users on these tree species

 

Most sightings of the species


Last observations

There are a total of 1 observations of the species in the system

Kitti csernyanszka

Aceria cerreusMite Aceria cerreus
Kitti csernyanszka
Number of votes: 0
Published: 19.6.2025


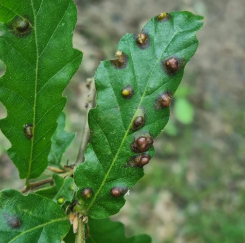
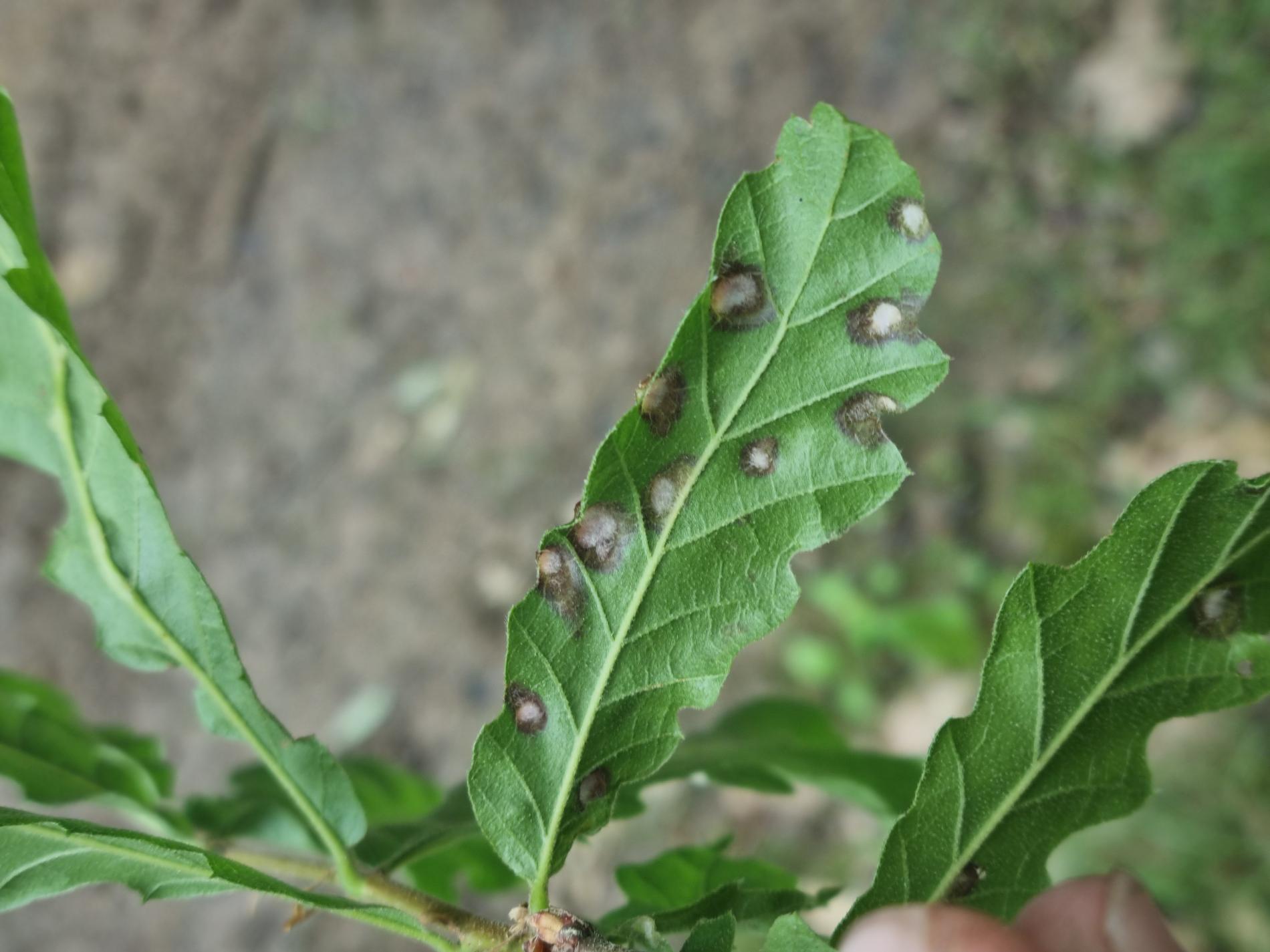
Similar damage

Gall midge Dryomyia circinans

Gall midge Dryomyia circinans

Mite Aceria pseudoplatani

Mite Aceria pseudoplatani

Gall midge Janetia cerris

Gall midge Janetia cerris

Mite Aceria nervisequa faginea

Mite Aceria nervisequa faginea

Back to top