Login | Registration | List of contributors

« Back

Aceria brachytarsus

Walnut pouch gall mite

Description

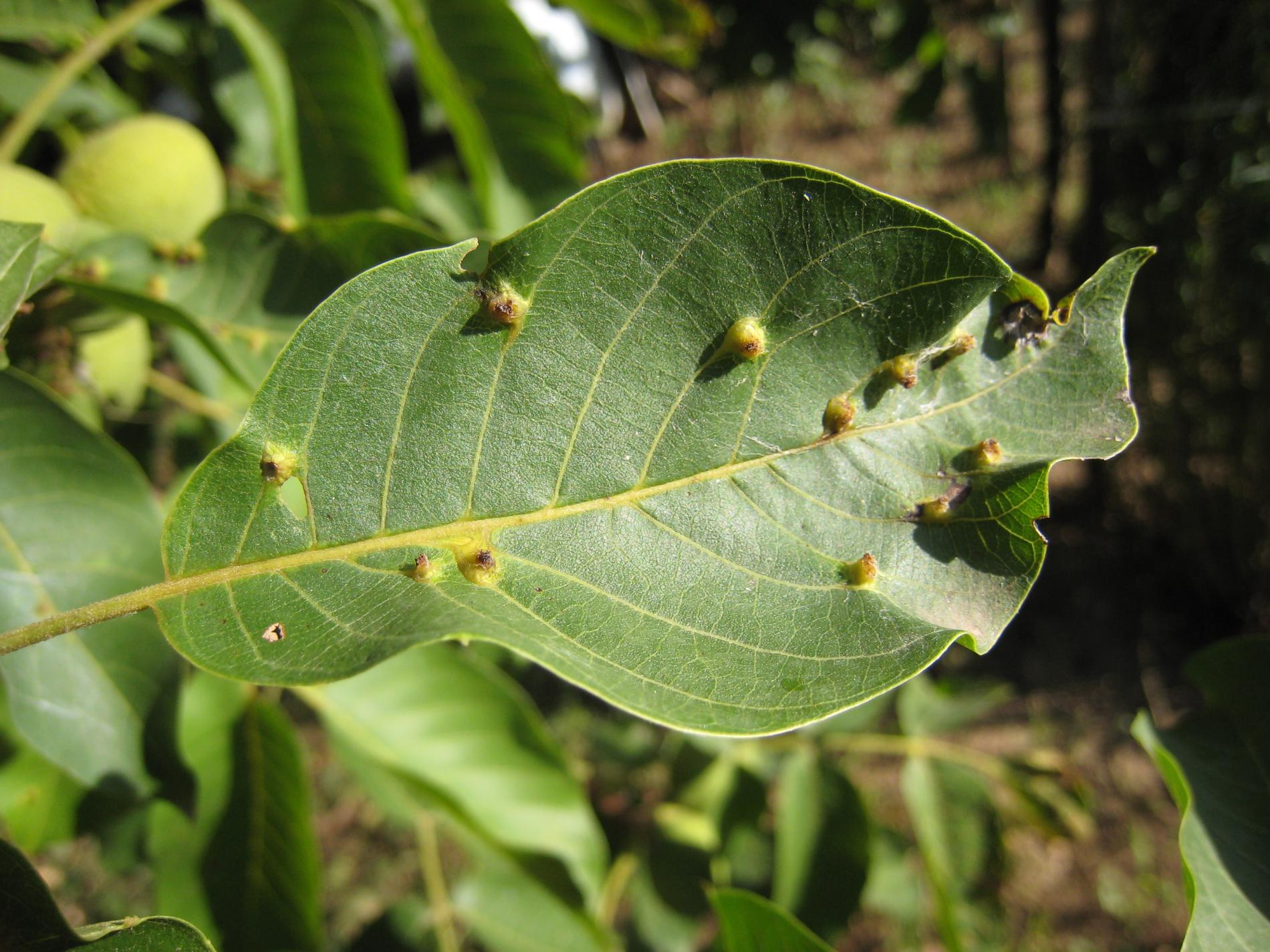
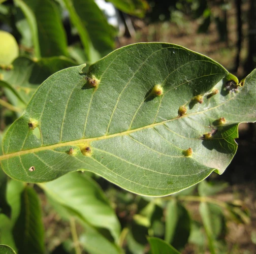
Aceria brachytarsus, commonly known as the walnut pouch gall mite, is a tiny eriophyid mite that infests walnut trees, particularly Juglans regia (English walnut) and Juglans nigra (black walnut). Found in parts of North America, Iran, and more recently in Europe (e.g., Spain and Hungary). The mite creates characteristic galls visible on both sides of the leaf. These galls initially resemble blisters, later becoming irregularly rounded and conical, up to 3.6 mm in size (on lower side of the leaves), with a shiny surface that changes from green to reddish-brown as it matures. While the mite does not cause significant harm to the tree's health, heavy infestations can distort the leaves, impacting the tree’s appearance, especially in ornamental settings.

Symptom

Galls appear as solitary, shiny, conical swellings on the upper leaf surface, often randomly placed between the lateral veins and midrib. On the underside of the leaves, they are larger and more conical. The galls can vary in color from green to reddish-brown.

Tree Species: Walnut

Part of a plant- attacked: Leaf / Needle

Pest significance: Less harmful

Pest Category: Mites

Invasive Species: Yes

Present in EU: Yes


Add comment: Aceria brachytarsus


Location map: Aceria brachytarsus

Legend:

1

Expert verified points

3

Unverified points

Observed by users on these tree species


Similar damage

Walnut leaf gall mite

Walnut leaf gall mite

Walnut anthracnose

Walnut anthracnose

Gall mite of Holly oak

Gall mite of Holly oak

Walnut leaf miner

Walnut leaf miner

Back to top