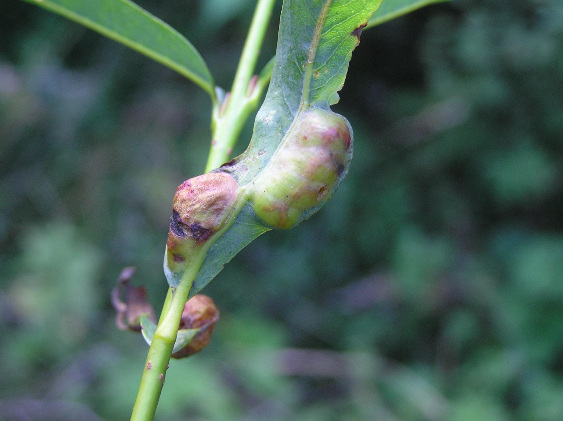
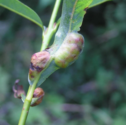
Sawfly Pontania proxima

Foto : M. ZúbrikFoto : M. ZúbrikzahradkarMarián SlamkaMarián SlamkaMarián Slamkaak73ak73 Karol Ox Karol Oxmilanmilanmilanmilanmilan Ján KollárMilan ZúbrikMilan ZúbrikMilan ZúbrikMilan ZúbrikMilan ZúbrikMilan ZúbrikMilan ZúbrikMilan ZúbrikMilan ZúbrikMilan ZúbrikMilan ZúbrikMilan ZúbrikMilan ZúbrikMilan ZúbrikMilan ZúbrikMilan ZúbrikMilan ZúbrikMilan ZúbrikMilan ZúbrikMilan ZúbrikMilan ZúbrikMilan ZúbrikMilan Zúbrik