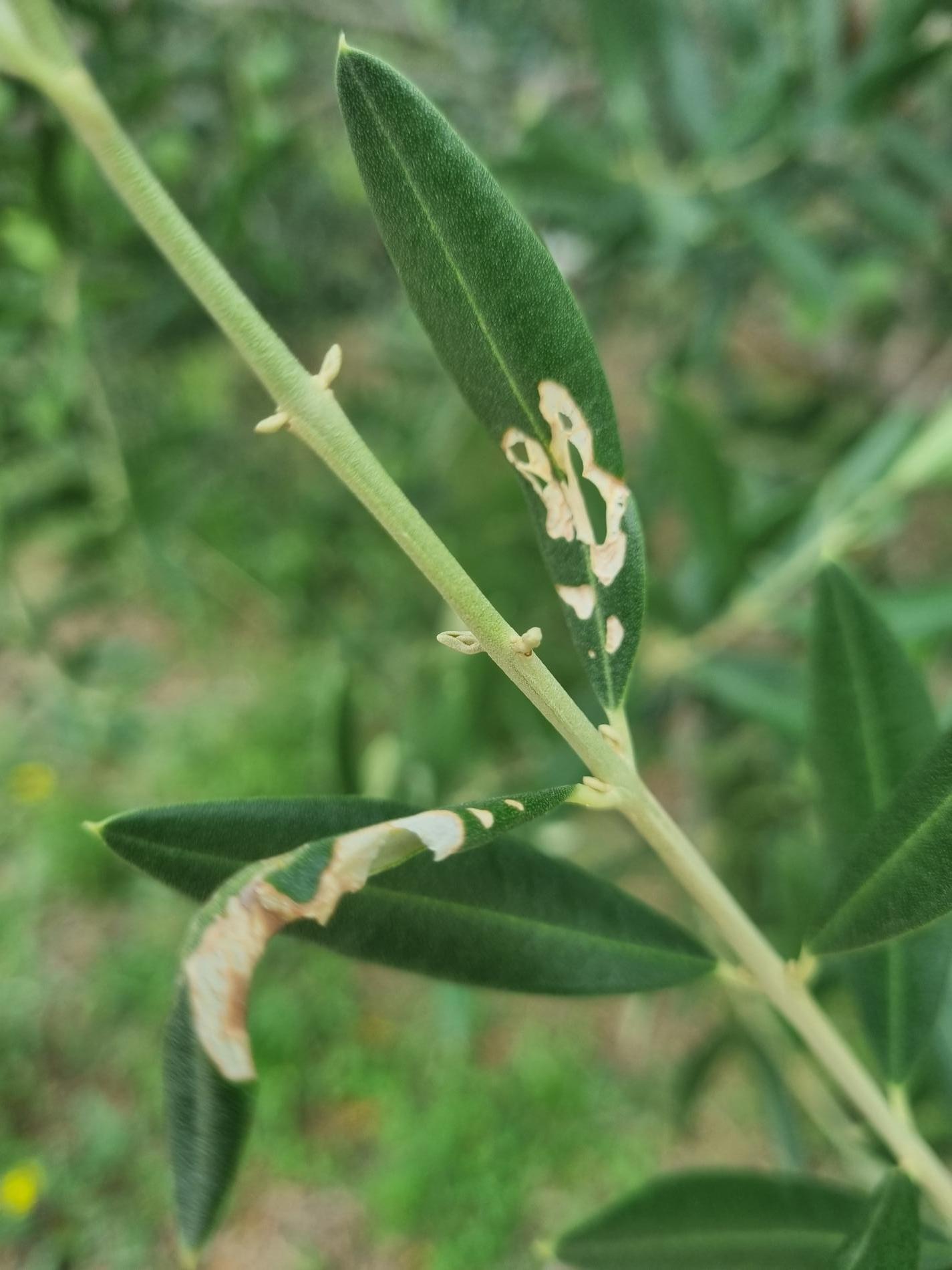
Olive moth

Foto: Milan ZúbrikFoto: Milan ZúbrikYannYannYannMilan ZúbrikMilan ZúbrikMilan ZúbrikMilan ZúbrikMilan ZúbrikMilan ZúbrikMilan ZúbrikMilan ZúbrikMilan ZúbrikMilan ZúbrikMilan ZúbrikMilan ZúbrikMilan ZúbrikMilan Zúbrik Marcel Belan Marcel Belan Marcel Belan Marcel Belan Marcel BelanMilan Zúbrik