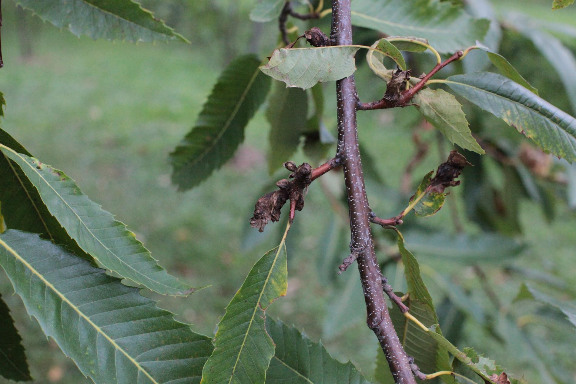
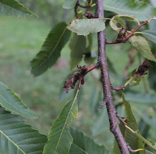
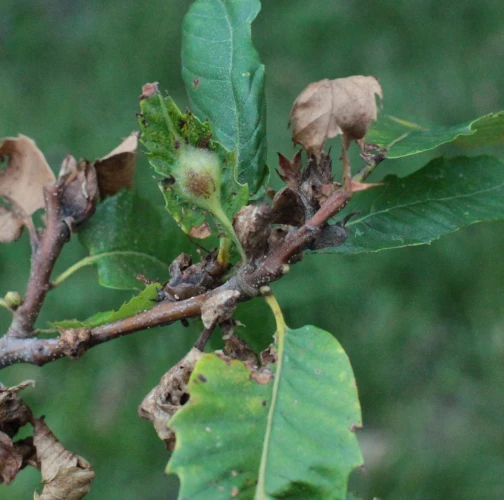
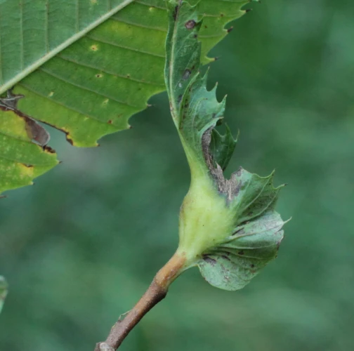
Chestnut gall wasp

Foto : M.ZúbrikFoto : M.ZúbrikFoto : M.ZúbrikFoto : M.ZúbrikSlavoSlavoSlavoSlavoMilan ZúbrikMilan ZúbrikMilan ZúbrikMilan ZúbrikMilan ZúbrikMilan ZúbrikMilan ZúbrikMilan ZúbrikMilan ZúbrikMilan ZúbrikMilan ZúbrikMilan ZúbrikMilan ZúbrikMilan ZúbrikMilan ZúbrikMilan ZúbrikMilan ZúbrikMilan ZúbrikMilan ZúbrikMilan ZúbrikMilan ZúbrikMilan ZúbrikMilan ZúbrikMilan ZúbrikMilan ZúbrikMilan ZúbrikMilan ZúbrikMilan ZúbrikMilan ZúbrikMilan ZúbrikMilan ZúbrikMilan ZúbrikMilan ZúbrikMilan ZúbrikMilan ZúbrikMilan ZúbrikMilan ZúbrikMilan ZúbrikMilan ZúbrikJozo25Jozo25Jozo25Jozo25Jozo25Jozo25Jozo25